ค้นหาบ้านมือสองธอส.
ลองเปลี่ยนมาใช้ผ่านแอปดูสิ ใช้ง่าย รวดเร็ว โหลดเลย!
รายการถูกใจล่าสุด
แสดง: 0 รายการ

ขายทาวน์เฮ้าส์ (พ่วงเพชร)

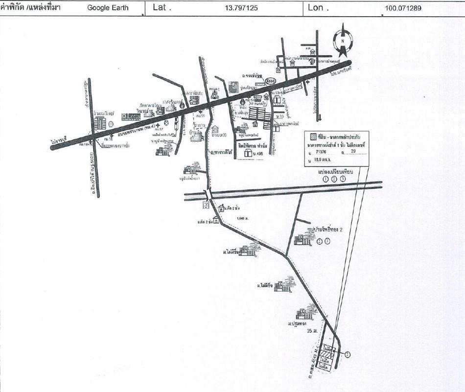
ต.ห้วยจรเข้ อ.เมืองนครปฐม จ.นครปฐม

฿ 450,000

รหัสทรัพย์ 7301106321
7301106321
฿ 450,000
ประเภททรัพย์
ทาวน์เฮ้าส์
โครงการ
พ่วงเพชร
18.9 ตร.ว.
1 ชั้น

ที่ตั้ง

เลขที่โฉนด/นส 3ก.
71376
เลขที่
14/26
โครงการ
พ่วงเพชร
ซอย
ถ.ทาราวดีใต้
ถนน
เพชรเกษม
แขวง/ตำบล
ห้วยจรเข้
เขต/อำเภอ
เมืองนครปฐม
จังหวัด
นครปฐม

รายละเอียดเพิ่มเติม

ซื้อทรัพย์แล้วยื่นกู้ได้เลย โดยใช้สินเชื่อสำหรับซื้อทรัพย์ NPA ของธนาคาร อัตราดอกเบี้ย 0% นาน 12 เดือน *เงื่อนไขเป็นไปตามที่ธนาคารกำหนด

ทำเลที่ตั้ง

คลิ๊กดูรูปภาพแผนที่

ข้อมูลติดต่อ

ธนาคารอาคารสงเคราะห์
  • ฝ่ายบริหารหนี้ภูมิภาค ติดต่อ 0-2645-9000 กด 5 วันทำการ เวลา 8.30 น. - 16.30 น. (คุณปณพร เชาว์วาทิน โทร 0-2645-9000 : 08-5485-4198 : 08-5485-4201 สาขานครปฐม)
เบอร์ติดต่อธนาคาร
  • 0-2645-9000
  • โทร. 0-2645-9000
  • 08-5485-4198
  • โทร. 08-5485-4198
  • 08-5485-4201
  • โทร. 08-5485-4201
  • ติดต่อธนาคาร