ขายบ้านเดี่ยว
ต.เนินงาม อ.รามัน จ.ยะลา
฿ 1,225,000
รหัสทรัพย์ 9506100301
9506100301
฿ 1,225,000
ประเภททรัพย์
บ้านเดี่ยว
116 ตร.ว.
1 ชั้น
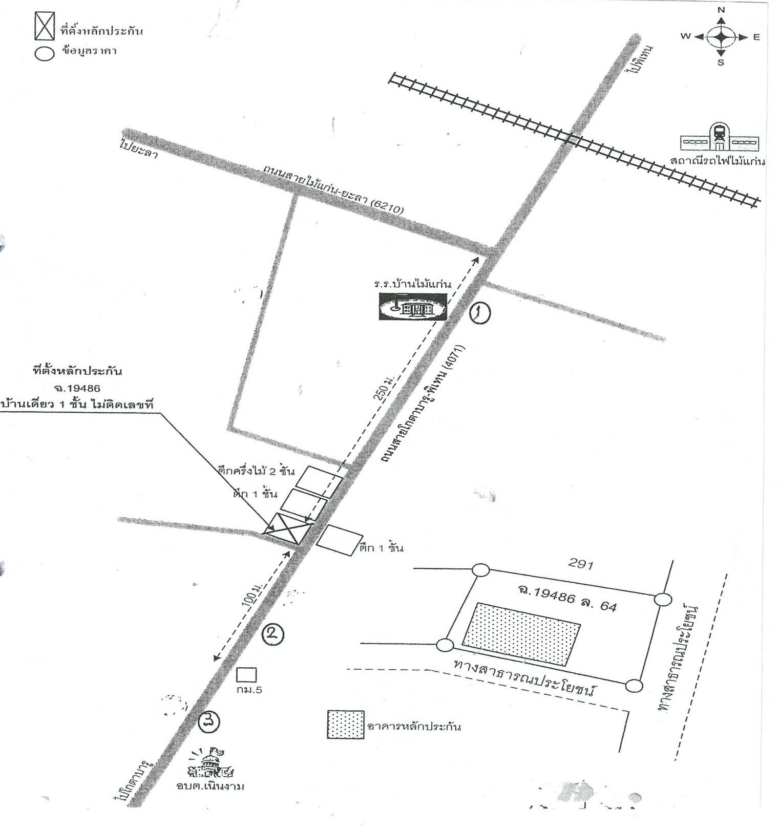
ที่ตั้ง
เลขที่โฉนด/นส 3ก.
19486
เลขที่
ไม่ติิดเลขที่
ซอย
-
ถนน
สายโกตาบารู-พิเทน (4
แขวง/ตำบล
เนินงาม
เขต/อำเภอ
รามัน
จังหวัด
ยะลา
รายละเอียดเพิ่มเติม
ในงาน งานประมูลบ้านมือสองธอส.ครั้งที่ 4/2568
ราคาพิเศษเฉพาะงานประมูลขายบ้านมือสอง ธอส. ประจำปี ครั้งที่ 4/2568 จัดขึ้นในวันเสาร์ที่ 13 ธันวาคม 2568 เริ่มทำการประมูลตั้งแต่เวลา 10.00 - 16.00 น. ณ สาขาที่ตั้งทรัพย์ ประมูลพร้อมกันทั่วประเทศ พิเศษ!!! สามารถใช้ผลิตภัณฑ์สินเชื่อ NPA Special Event ปี 2568 อัตราดอกเบี้ย 0% นาน 2 ปี * เงื่อนไขเป็นไปตามที่ธนาคารกำหนด
- ณ ฝ่ายพิธีการสินเชื่อ อาคาร 2 ชั้น 1 ธนาคารอาคารสงเคราะห์ สำนักงานใหญ่ และสาขาที่ทำการภูมิภาค
- 13 ธ.ค. 2568 วันเดียวเท่านั้น
- 08:00-16:00 น.
ข้อมูลติดต่อ
ธนาคารอาคารสงเคราะห์
- ฝ่ายบริหารหนี้ภูมิภาค ติดต่อ 0-2645-9000 กด 5 วันทำการ เวลา 8.30 น. - 16.30 น. (คุณวรโชติ วงศ์กระจ่าง : คุณอมรรัตน์ หวนศรี โทร 08-5485-4220 : 08-5839-8501 สาขาเบตง)
เบอร์ติดต่อธนาคาร
- 0-2645-9000
-
โทร. 0-2645-9000
- 08-5485-4220
-
โทร. 08-5485-4220
- 08-5839-8501
-
โทร. 08-5839-8501
-
โทรติดต่อธนาคาร
ใช่ไหม?