ค้นหาบ้านมือสองธอส.
ลองเปลี่ยนมาใช้ผ่านแอปดูสิ ใช้ง่าย รวดเร็ว โหลดเลย!
  • เลขที่โฉนด/นส3.ก : -
  • รหัสทรัพย์: 9502100221
  • ประเภททรัพย์: ทาวน์เฮ้าส์
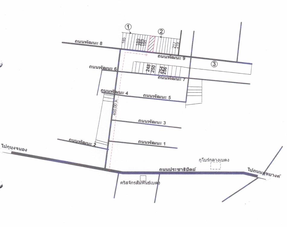
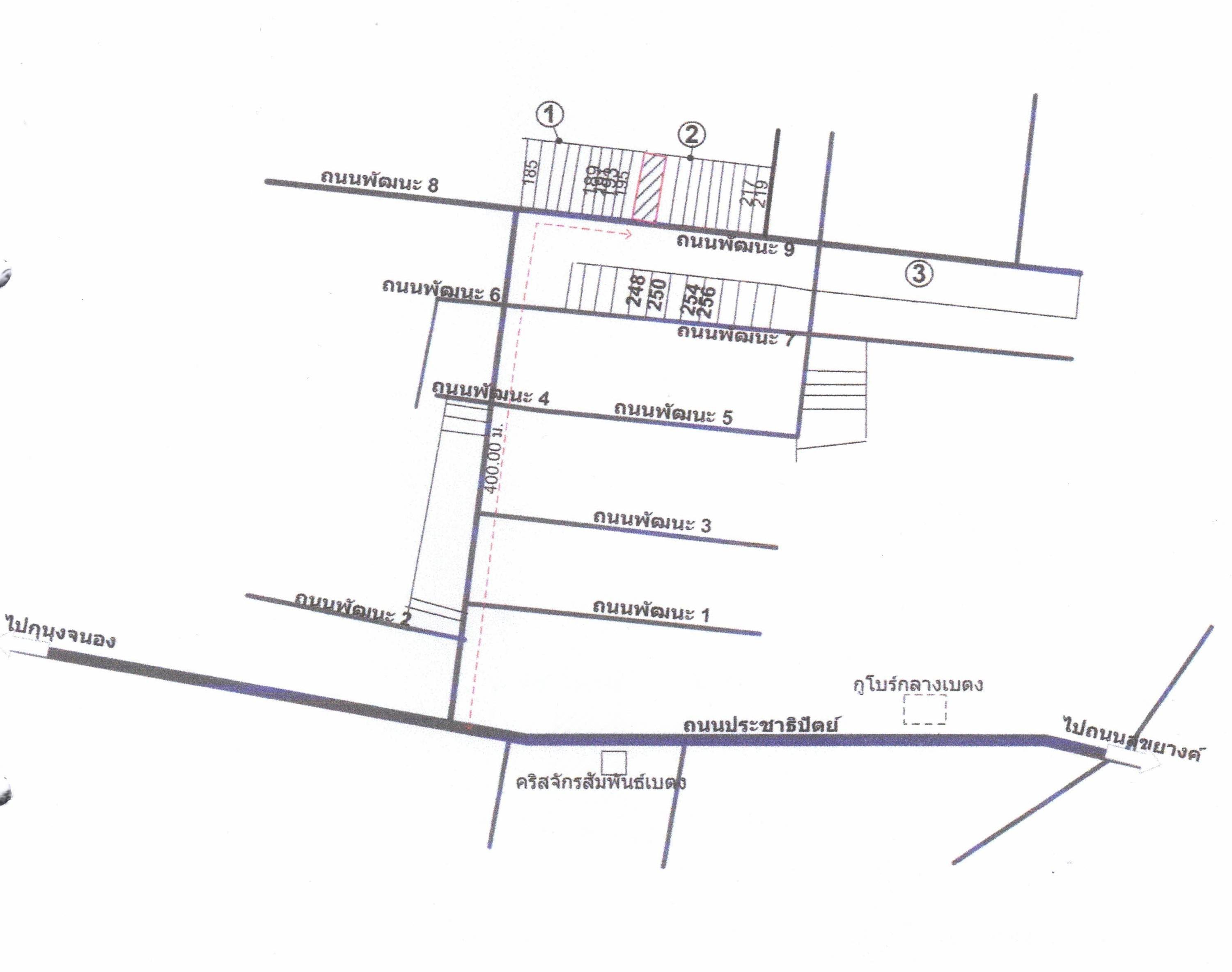
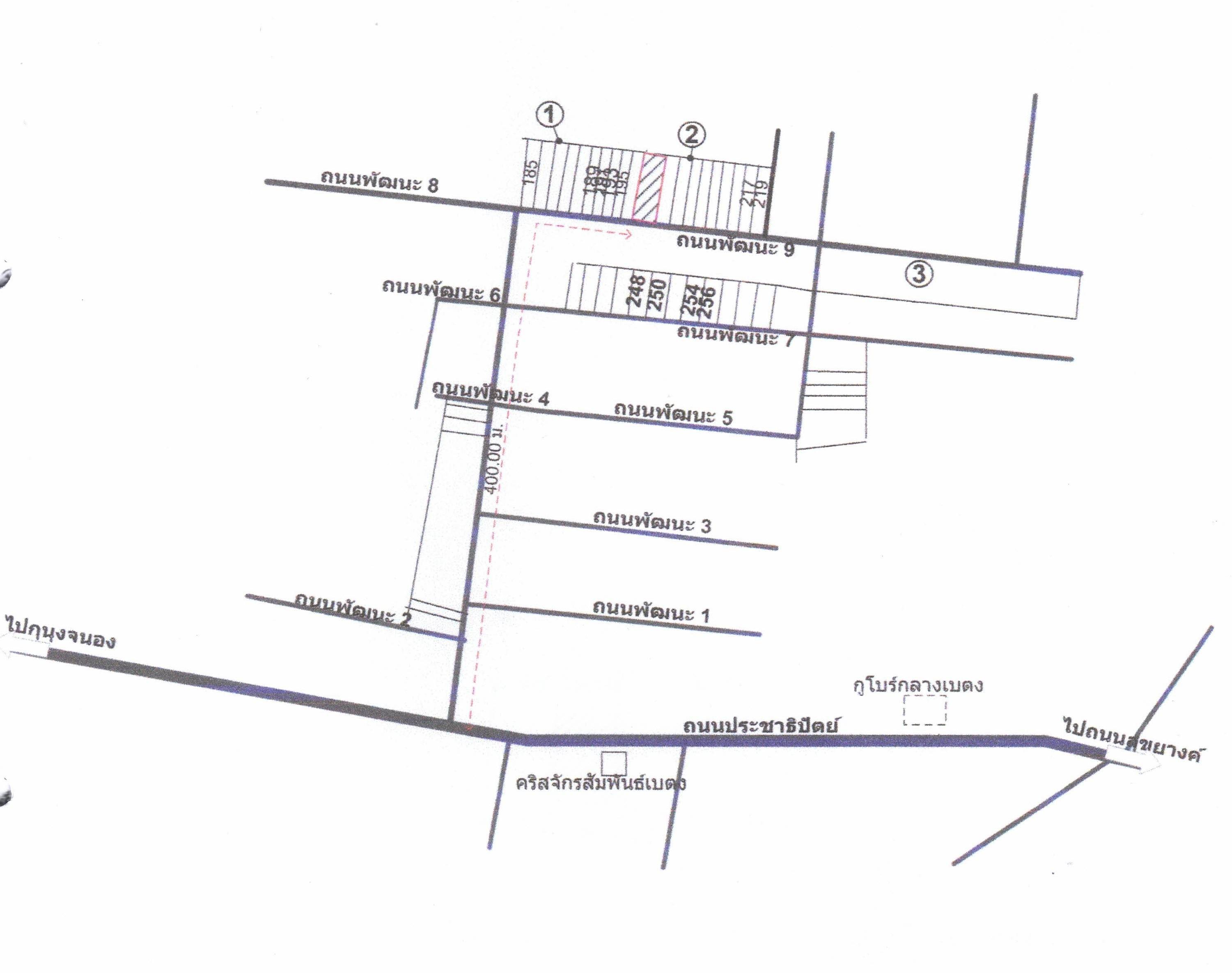
  • โครงการ/หมู่บ้าน: พัฒนะ
  • ต.เบตง อ.เบตง จ.ยะลา
  • 48.4 ตร.ว.
  • 2 ชั้น

รายละเอียดทรัพย์

  • ประเภททรัพย์ ทาวน์เฮ้าส์
  • เนื้อที่ 48.4 ตร.ว.
  • จำนวนชั้น 2 ชั้น
  • ซอย พัฒนะ ซ.9
  • ตำบล/แขวง เบตง
  • จังหวัด ยะลา
  • โครงการ/หมู่บ้าน พัฒนะ
  • พื้นที่ใช้สอย
    -
  • ที่ตั้งทรัพย์ 201
  • ถนน พัฒนะ
  • อำเภอ/เขต เบตง
  •  

ถ้าจะซื้อทรัพย์นี้ จะต้องผ่อนเดือนละเท่าไหร่

ราคาทรัพย์ 2,625,000 บาท

เงินจอง บาท
เงินประกันการเข้าอยู่ 1.5% บาท
เงินดาวน์
จำนวนเงินดาวน์ บาท
เงินดาวน์งวดที่1* บาท
เงินดาวน์งวดที่2
*
บาท

ชำระวันทำสัญญา เงินจอง + เงินประกันการเข้าอยู่ 1.5% + เงินดาวน์งวดที่ 1 บาท

จำนวนเงินขอสินเชื่อ บาท
ผ่อนชำระ ปี
อัตราดอกเบี้ย ปี
จำนวนเงินผ่อนชำระ* บาท/เดือน

หมายเหตุ
  • ยอดการผ่อนชำระเป็นเพียงการประมาณการในเบื้องต้น ส่วนการอนุมัติสินเชื่อสงวนสิทธิ์ เป็นไปตามหลักเกณฑ์ของธนาคารและคุณสมบัติของผู้กู้ และอัตราดอกเบี้ยอ้างอิงจากดอกเบี้ยเงินกู้ร้อยละ 6.245
  • เงินดาวน์ 10%
    263,000 บาท
  • ผ่อนดาวน์ (ต่องวด)
    21,900 บาท

  • ยอดจัดสินเชื่อ
    2,362,000 บาท
  • อัตราผ่อนชำระ (ต่อเดือน)
    14,600 บาท
หมายเหตุ
  • ยอดการผ่อนชำระเป็นเพียงการประมาณการในเบื้องต้น ส่วนการอนุมัติสินเชื่อสงวนสิทธิ์ เป็นไปตามหลักเกณฑ์ของธนาคารและคุณสมบัติของผู้กู้ และอัตราดอกเบี้ยอ้างอิงจากดอกเบี้ยเงินกู้ร้อยละ 6.245

ทำเลที่ตั้ง

คลิ๊กดูรูปภาพแผนที่
Google Map
Street View
Get Direction

ข้อมูลติดต่อ

ธนาคารอาคารสงเคราะห์
  • ฝ่ายบริหารหนี้ภูมิภาค ติดต่อ 0-2645-9000 กด 5 วันทำการ เวลา 8.30 น. - 16.30 น. (คุณวรโชติ วงศ์กระจ่าง : คุณอมรรัตน์ หวนศรี โทร. 08-5485-4220 : 08-5839-8501 สาขายะลา)
เบอร์ติดต่อธนาคาร
  • 0-2645-9000
  • โทร. 0-2645-9000
  • 08-5485-4220
  • โทร. 08-5485-4220
  • 08-5839-8501
  • โทร. 08-5839-8501
  • ติดต่อธนาคาร