ค้นหาบ้านมือสองธอส.
ลองเปลี่ยนมาใช้ผ่านแอปดูสิ ใช้ง่าย รวดเร็ว โหลดเลย!
รายการถูกใจล่าสุด
แสดง: 0 รายการ

฿ 3,395,000

รหัสทรัพย์ 9501101021
9501101021
฿ 3,395,000
ประเภททรัพย์
ทาวน์เฮ้าส์
โครงการ
ไม่มีชื่อ
54.3 ตร.ว.
1 ชั้น

ที่ตั้ง

เลขที่โฉนด/นส 3ก.
99201, 99202
เลขที่
104/31, 104/32
โครงการ
ไม่มีชื่อ
ซอย
ถ.กอเดร์อุมา
ถนน
สิโรรสสาย15
แขวง/ตำบล
สะเตง
เขต/อำเภอ
เมืองยะลา
จังหวัด
ยะลา

รายละเอียดเพิ่มเติม

ซื้อทรัพย์แล้วยื่นกู้ได้เลย โดยใช้สินเชื่อสำหรับซื้อทรัพย์ NPA ของธนาคาร อัตราดอกเบี้ย 0% นาน 12 เดือน *เงื่อนไขเป็นไปตามที่ธนาคารกำหนด

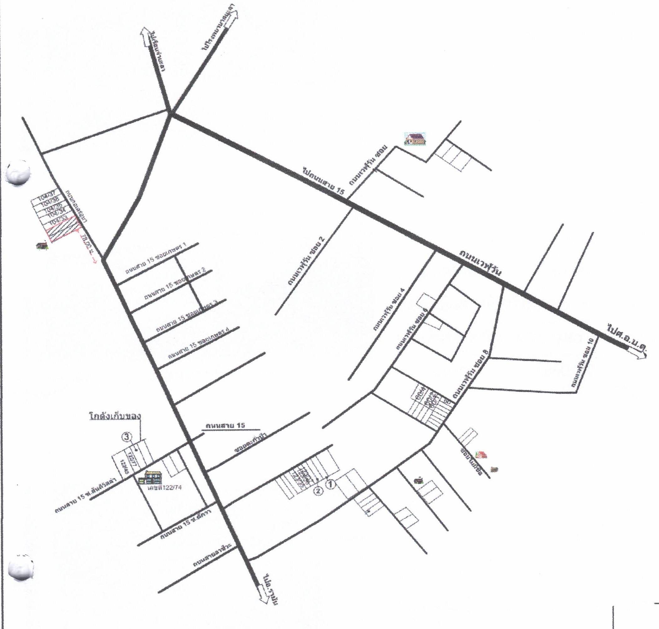
ทำเลที่ตั้ง

คลิ๊กดูรูปภาพแผนที่

ข้อมูลติดต่อ

ธนาคารอาคารสงเคราะห์
  • ฝ่ายบริหารหนี้ภูมิภาค ติดต่อ 0-2645-9000 กด 5 วันทำการ เวลา 8.30 น. - 16.30 น. (คุณวรโชติ วงศ์กระจ่าง : คุณอมรรัตน์ หวนศรี โทร 0-2645-9000 : 08-5485-4220 : 08-5839-8501 สาขายะลา)
เบอร์ติดต่อธนาคาร
  • 0-2645-9000
  • โทร. 0-2645-9000
  • 08-5485-4220
  • โทร. 08-5485-4220
  • 08-5839-8501
  • โทร. 08-5839-8501
  • ติดต่อธนาคาร