ขายทาวน์เฮ้าส์ (ภูราธานี)
ต.ลำภูรา อ.ห้วยยอด จ.ตรัง
฿ 1,370,000
รหัสทรัพย์ 9206101151
9206101151
฿ 1,370,000
ประเภททรัพย์
ทาวน์เฮ้าส์
โครงการ
ภูราธานี
30 ตร.ว.
1 ชั้น
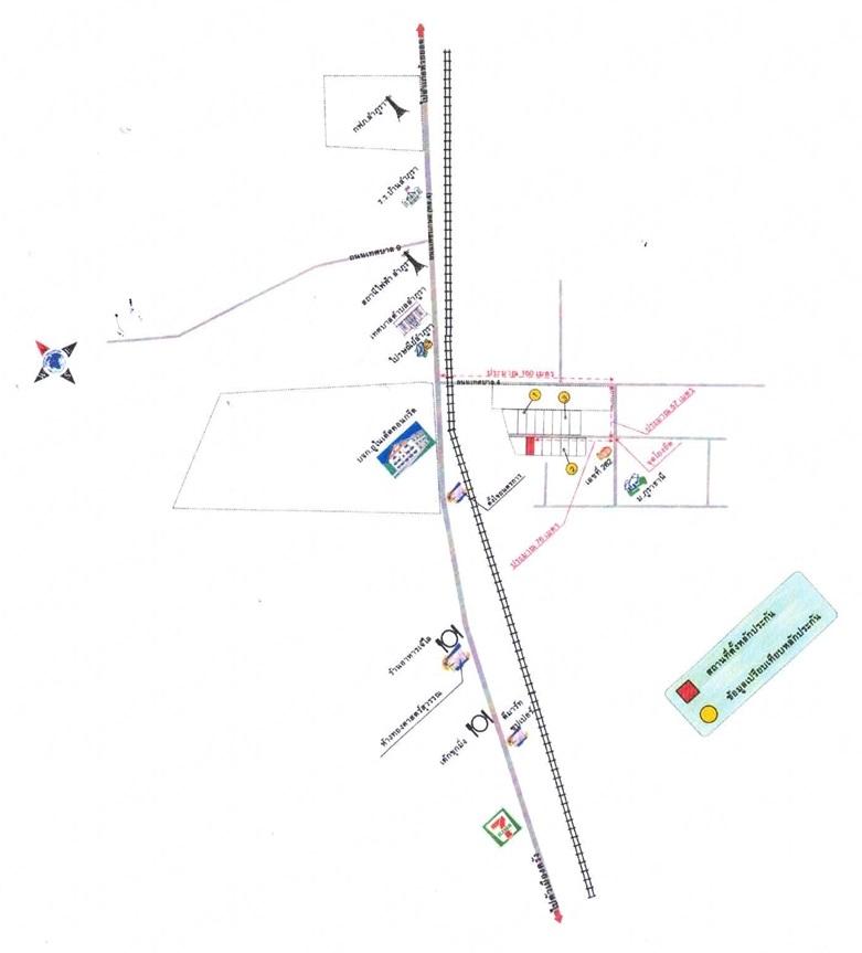
ที่ตั้ง
เลขที่โฉนด/นส 3ก.
46937
เลขที่
ไม่ติดเลขที่
โครงการ
ภูราธานี
ซอย
ซอยวัดลำภูราแยกเข้าย
ถนน
เพชรเกษม(ทล.4)
แขวง/ตำบล
ลำภูรา
เขต/อำเภอ
ห้วยยอด
จังหวัด
ตรัง
รายละเอียดเพิ่มเติม
ในงาน งานประมูลบ้านมือสองธอส.ครั้งที่ 4/2568
ราคาพิเศษเฉพาะงานประมูลขายบ้านมือสอง ธอส. ประจำปี ครั้งที่ 4/2568 จัดขึ้นในวันเสาร์ที่ 13 ธันวาคม 2568 เริ่มทำการประมูลตั้งแต่เวลา 10.00 - 16.00 น. ณ สาขาที่ตั้งทรัพย์ ประมูลพร้อมกันทั่วประเทศ พิเศษ!!! สามารถใช้ผลิตภัณฑ์สินเชื่อ NPA Special Event ปี 2568 อัตราดอกเบี้ย 0% นาน 2 ปี * เงื่อนไขเป็นไปตามที่ธนาคารกำหนด
- ณ ฝ่ายพิธีการสินเชื่อ อาคาร 2 ชั้น 1 ธนาคารอาคารสงเคราะห์ สำนักงานใหญ่ และสาขาที่ทำการภูมิภาค
- 13 ธ.ค. 2568 วันเดียวเท่านั้น
- 08:00-16:00 น.
ข้อมูลติดต่อ
ธนาคารอาคารสงเคราะห์
- ฝ่ายบริหารหนี้ภูมิภาค ติดต่อ 0-2645-9000 กด 5 วันทำการ เวลา 8.30 น. - 16.30 น. (คุณกฤษฎา ศรีเกตุ โทร 08-5485-4219 สาขาตรัง)
เบอร์ติดต่อธนาคาร
- 0-2645-9000
-
โทร. 0-2645-9000
- 08-5485-4219
-
โทร. 08-5485-4219
-
โทรติดต่อธนาคาร
ใช่ไหม?