ขายบ้านแฝด (ไม่มีชื่อ)
ต.พะตง อ.หาดใหญ่ จ.สงขลา
฿ 1,280,000
รหัสทรัพย์ 9011107311
9011107311
฿ 1,280,000
ประเภททรัพย์
บ้านแฝด
โครงการ
ไม่มีชื่อ
25.4 ตร.ว.
1 ชั้น
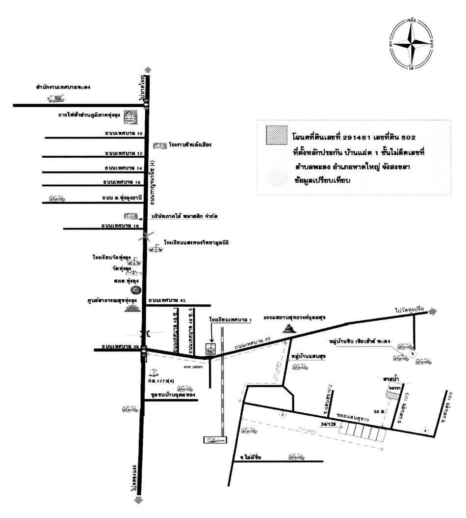
ที่ตั้ง
เลขที่โฉนด/นส 3ก.
291461
เลขที่
34/190
โครงการ
ไม่มีชื่อ
ซอย
ซ.หมู่บ้านแสนสุข/ซ.ไ
ถนน
เทศบาล 49
แขวง/ตำบล
พะตง
เขต/อำเภอ
หาดใหญ่
จังหวัด
สงขลา
รายละเอียดเพิ่มเติม
ในงาน งานประมูลขายบ้านมือสอง ธอส. ประจำปี 2569 ครั้งที่ 1
ราคาพิเศษเฉพาะงานประมูลบ้านมือสองธอส. ประจำปี 2569 ครั้งที่ 1 จัดขึ้นในวันเสาร์ที่ 14 มีนาคม 2569 ลงชื่อเข้าร่วมประมูลได้ตั้งแต่เวลา 8.00 น. เป็นต้นไปและเริ่มทำการประมูลตั้งแต่เวลา 10.00 - 16.00 น. ณ ที่ทำการสาขาภูมิภาค (ประมูลพร้อมกันทั่วประเทศ) พิเศษ!!! สามารถใช้ผลิตภัณฑ์สินเชื่อ NPA Special Event ปี 2568 อัตราดอกเบี้ย 0% นาน 2 ปี * เงื่อนไขเป็นไปตามที่ธนาคารกำหนด
- ณ ห้องพิมานมาศ อาคารจอดรถ ชั้น 11 ธอส. สำนักงานใหญ่ สำหรับทรัพย์ภูมิภาค ประมูล ณ สาขาที่ตั้งทรัพย์
- 14 มี.ค. 2569 วันเดียวเท่านั้น
- 10:00-16:00 น.
ข้อมูลติดต่อ
ธนาคารอาคารสงเคราะห์
- ฝ่ายบริหารหนี้ภูมิภาค ติดต่อ 0-2645-9000 กด 5 วันทำการ เวลา 8.30 น. - 16.30 น. (คุณอิทธิมนต์ สุวรรณวิภากร โทร 06-3217-5903 : 08-5839-8490 สาขาเซ็นทรัลหาดใหญ่)
เบอร์ติดต่อธนาคาร
- 0-2645-9000
-
โทร. 0-2645-9000
- 08-2269-9946
-
โทร. 08-2269-9946
-
โทรติดต่อธนาคาร
ใช่ไหม?