ขายบ้านแฝด
ราคาทรัพย์ 980,000 บาท
- เลขที่โฉนด/นส3.ก : -
- รหัสทรัพย์: 9011106321
- ลำดับทรัพย์ที่: -
- ประเภททรัพย์: บ้านแฝด
- โครงการ/หมู่บ้าน: -
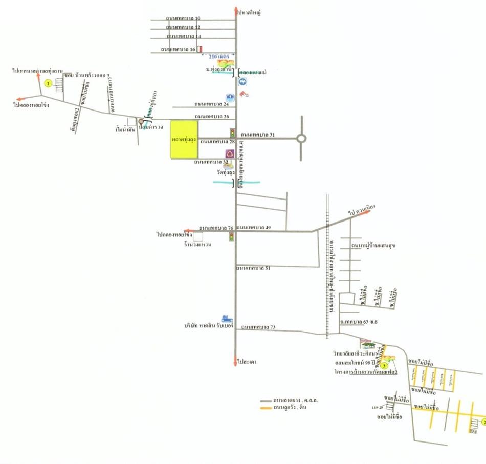
- ต.พะตง อ.หาดใหญ่ จ.สงขลา
- 20.6 ตร.ว.
- 1 ชั้น
รายละเอียดทรัพย์
- ประเภททรัพย์ บ้านแฝด
- เนื้อที่ 20.6 ตร.ว.
- จำนวนชั้น 1 ชั้น
- ซอย เทศบาล 16
- ตำบล/แขวง พะตง
- จังหวัด สงขลา
- โครงการ/หมู่บ้าน -
- พื้นที่ใช้สอย -
- ที่ตั้งทรัพย์ -
- ถนน กาญจนวนิช
- อำเภอ/เขต หาดใหญ่
รายละเอียดเพิ่มเติม
ในงาน โครงการบ้านล้านหลัง ระยะที่ 3
โครงการบ้านล้านหลัง ระยะที่ 3 สามารถใช้สินเชื่ออัตราดอกเบี้ยคงที่ 5 ปีแรก 3.00% ต่อปี เพียงดาวน์โหลด GHB ALL GEN Application และรับรหัสเข้าร่วมโครงการ ระยะเวลาโครงการตั้งแต่วันที่ 27 กุมภาพันธ์ 2566 - 30 ธันวาคม 2568 หรือจนกว่าจะเต็มกรอบวงเงินในโครงการ (ราคาโปรโมชั่นนี้สามารถซื้อและทำสัญญาฯ ได้ถึงวันที่ 26 มี.ค. 69) *เงื่อนไขเป็นไปตามที่ธนาคารกำหนด
- ธนาคารอาคารสงเคราะห์ สำนักงานใหญ่ และที่ทำการสาขาทั่วประเทศ
- 27 ก.พ. 2566 - 30 ธ.ค. 2568
- 08:30-16:30 น.
ถ้าจะซื้อทรัพย์นี้ จะต้องผ่อนเดือนละเท่าไหร่
คำนวณเงินดาวน์และสินเชื่อ
ราคาทรัพย์ 980,000 บาท
| เงินจอง | บาท | |
| เงินประกันการเข้าอยู่ 1.5% | บาท | |
| เงินดาวน์ |
|
|
| จำนวนเงินดาวน์ | บาท | |
| เงินดาวน์งวดที่1* | บาท | |
เงินดาวน์งวดที่2 * |
บาท | |
|
|
||
| ชำระวันทำสัญญา | เงินจอง + เงินประกันการเข้าอยู่ 1.5% + เงินดาวน์งวดที่ 1 | บาท |
|
|
||
| จำนวนเงินขอสินเชื่อ | บาท | |
| ผ่อนชำระ | ปี | |
| อัตราดอกเบี้ย | ปี | |
| จำนวนเงินผ่อนชำระ* | บาท/เดือน | |
หมายเหตุ
- ยอดการผ่อนชำระเป็นเพียงการประมาณการในเบื้องต้น ส่วนการอนุมัติสินเชื่อสงวนสิทธิ์ เป็นไปตามหลักเกณฑ์ของธนาคารและคุณสมบัติของผู้กู้ และอัตราดอกเบี้ยอ้างอิงจากดอกเบี้ยเงินกู้ร้อยละ 6.245
- เงินดาวน์ 10%98,000 บาท
- ผ่อนดาวน์ (ต่องวด) 8,100 บาท
- ยอดจัดสินเชื่อ 882,000 บาท
- อัตราผ่อนชำระ (ต่อเดือน) 5,500 บาท
หมายเหตุ
- ยอดการผ่อนชำระเป็นเพียงการประมาณการในเบื้องต้น ส่วนการอนุมัติสินเชื่อสงวนสิทธิ์ เป็นไปตามหลักเกณฑ์ของธนาคารและคุณสมบัติของผู้กู้ และอัตราดอกเบี้ยอ้างอิงจากดอกเบี้ยเงินกู้ร้อยละ 6.245
ข้อมูลติดต่อ
ธนาคารอาคารสงเคราะห์
- ฝ่ายบริหารหนี้ภูมิภาค ติดต่อ 0-2645-9000 กด 5 วันทำการ เวลา 8.30 น. - 16.30 น. (คุณศิริอร คงมนต์ : คุณวรรณา จันบุรี โทร 06-3217-5930 : 08-5839-8469 สาขาสะเดา)
เบอร์ติดต่อธนาคาร
- 0-2645-9000
-
โทร. 0-2645-9000
- 06-3217-5930
-
โทร. 06-3217-5930
- 08-5839-8469
-
โทร. 08-5839-8469
-
โทรติดต่อธนาคาร
ใช่ไหม?