ค้นหาบ้านมือสองธอส.
ลองเปลี่ยนมาใช้ผ่านแอปดูสิ ใช้ง่าย รวดเร็ว โหลดเลย!
รายการถูกใจล่าสุด
แสดง: 0 รายการ

ขายทาวน์เฮ้าส์

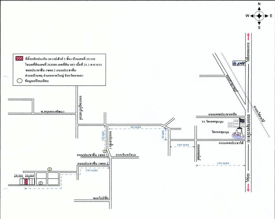
ต.บ้านพรุ อ.หาดใหญ่ จ.สงขลา

฿ 1,260,000

รหัสทรัพย์ 9011103351
9011103351
฿ 1,260,000
ประเภททรัพย์
ทาวน์เฮ้าส์
ลำดับทรัพย์ที่
5
21.1 ตร.ว.
2 ชั้น

ที่ตั้ง

เลขที่โฉนด/นส 3ก.
263080
เลขที่
25/102
ซอย
-
ถนน
-
แขวง/ตำบล
บ้านพรุ
เขต/อำเภอ
หาดใหญ่
จังหวัด
สงขลา

รายละเอียดเพิ่มเติม

ในงาน โครงการทรัพย์ตรงใจ

โครงการทรัพย์ตรงใจ ราคาโปรโมชั่นนี้สามารถซื้อและทำสัญญาฯ ได้ถึงวันที่ 18 ก.พ. 69

  •   ฝ่ายบริหาร NPA อาคาร 2 ชั้น 2 ธอส.สำนักงานใหญ่ สำหรับทรัพย์ส่วนภูมิภาค ติดต่อได้ ณ สาขาที่ตั้งทรัพย์
  •   วันนี้เป็นต้นไป
  •   08:30-16:30 น.

ทำเลที่ตั้ง

คลิ๊กดูรูปภาพแผนที่

ข้อมูลติดต่อ

ธนาคารอาคารสงเคราะห์
  • ฝ่ายบริหารหนี้ภูมิภาค ติดต่อ 0-2645-9000 กด 5 วันทำการ เวลา 8.30 น. - 16.30 น. (คุณกนกกาญจน์ จันทน์เสนะ โทร 0-2645-9000 : 08-5839-8425 06-3217-5381 สาขาถนนราษฎร์อุทิศ)
เบอร์ติดต่อธนาคาร
  • 0-2645-9000
  • โทร. 0-2645-9000
  • 08-5839-8425
  • โทร. 08-5839-8425
  • 06-3217-5381
  • โทร. 06-3217-5381
  • ติดต่อธนาคาร