ค้นหาบ้านมือสองธอส.
ลองเปลี่ยนมาใช้ผ่านแอปดูสิ ใช้ง่าย รวดเร็ว โหลดเลย!
รายการถูกใจล่าสุด
แสดง: 0 รายการ

ขายทาวน์เฮ้าส์ (พัชรินทร์(ริมเขา))

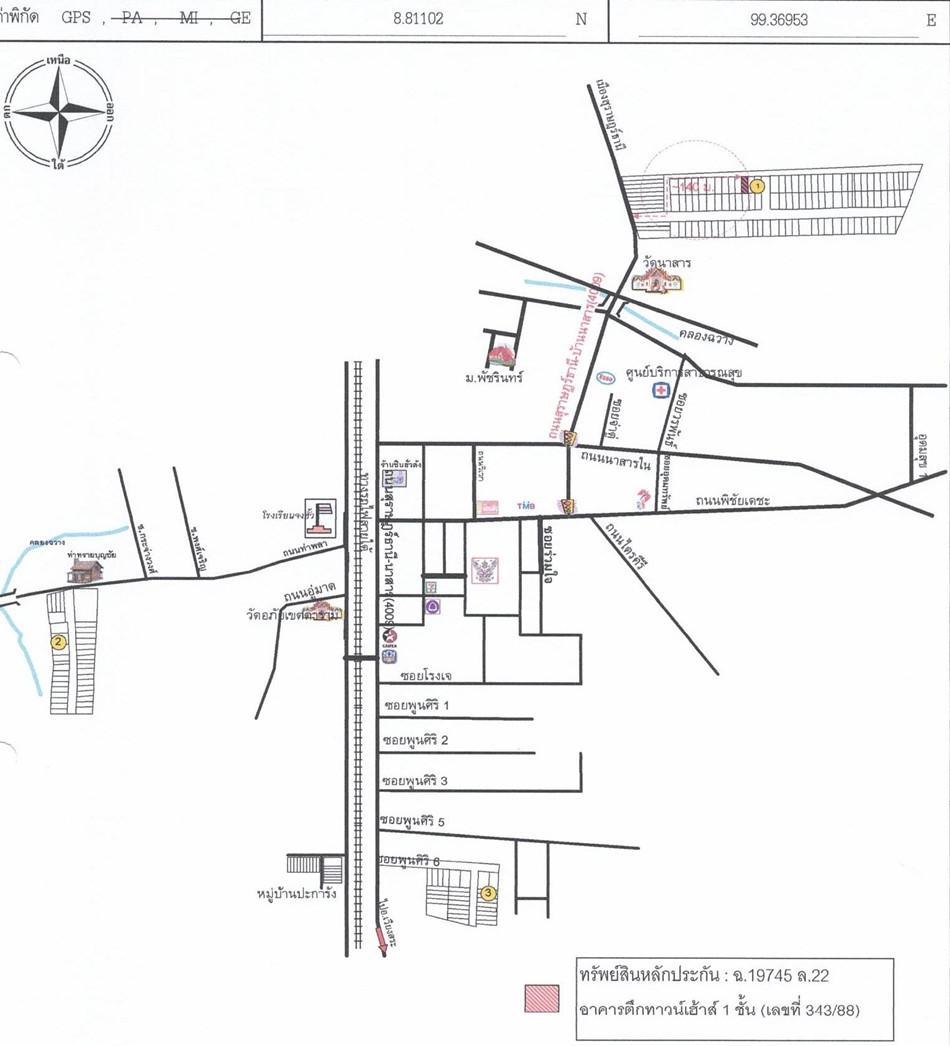
ต.นาสาร อ.บ้านนาสาร จ.สุราษฎร์ธานี

฿ 705,000

รหัสทรัพย์ 8412100831
8412100831
฿ 705,000
ประเภททรัพย์
ทาวน์เฮ้าส์
ลำดับทรัพย์ที่
2
โครงการ
พัชรินทร์(ริมเขา)
24.1 ตร.ว.
1 ชั้น

ที่ตั้ง

เลขที่โฉนด/นส 3ก.
19745
เลขที่
343/88
โครงการ
พัชรินทร์(ริมเขา)
ซอย
ม.พัชรินทร์(ริมเขา)
ถนน
สุราษฏร์ธานี-บ้านนาส
แขวง/ตำบล
นาสาร
เขต/อำเภอ
บ้านนาสาร
จังหวัด
สุราษฎร์ธานี

ทำเลที่ตั้ง

คลิ๊กดูรูปภาพแผนที่

ข้อมูลติดต่อ

ธนาคารอาคารสงเคราะห์
  • ฝ่ายบริหารหนี้ภูมิภาค ติดต่อ 0-2645-9000 กด 5 วันทำการ เวลา 8.30 น. - 16.30 น. (คุณสุพจน์ สุขเจริญ โทร 06-3217-5700 สาขาเซ็นทรัลสุราษฎร์ธานี)
เบอร์ติดต่อธนาคาร
  • 0-2645-9000
  • โทร. 0-2645-9000
  • 06-3217-5700
  • โทร. 06-3217-5700
  • ติดต่อธนาคาร