ค้นหาบ้านมือสองธอส.
ลองเปลี่ยนมาใช้ผ่านแอปดูสิ ใช้ง่าย รวดเร็ว โหลดเลย!
รายการถูกใจล่าสุด
แสดง: 0 รายการ

ขายบ้านเดี่ยว

ต.มะขามเตี้ย อ.เมืองสุราษฎร์ธานี จ.สุราษฎร์ธานี

฿ 2,030,000

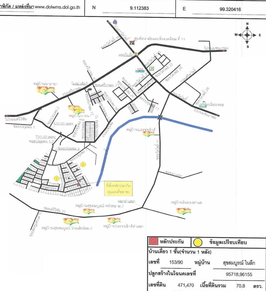
รหัสทรัพย์ 8401104531
8401104531
฿ 2,030,000
ประเภททรัพย์
บ้านเดี่ยว
70.8 ตร.ว.
1 ชั้น

ที่ตั้ง

เลขที่
153/90
ซอย
ม.สุขสมบูรณ์ในลึก ถนนปทุมพร
ถนน
ผังเมืองสาย ก(ง) ตัด
แขวง/ตำบล
มะขามเตี้ย
เขต/อำเภอ
เมืองสุราษฎร์ธานี
จังหวัด
สุราษฎร์ธานี

รายละเอียดเพิ่มเติม

ในงาน โครงการทรัพย์ตรงใจ

โครงการทรัพย์ตรงใจ ในส่วนภูมิภาค ราคาโปรโมชั่นนี้สามารถซื้อและทำสัญญาฯได้ถึงวันที่ 26 มี.ค. 69 ซื้อทรัพย์แล้วยื่นกู้ได้เลย โดยใช้สินเชื่อสำหรับซื้อทรัพย์ NPA ของธนาคาร อัตราดอกเบี้ย 0% นาน 12 เดือน * เงื่อนไขเป็นไปตามที่ธนาคารกำหนด

  •   ฝ่ายบริหาร NPA อาคาร 2 ชั้น 2 ธอส.สำนักงานใหญ่ สำหรับทรัพย์ส่วนภูมิภาค ติดต่อได้ ณ สาขาที่ตั้งทรัพย์
  •   วันนี้เป็นต้นไป
  •   08:30-16:30 น.

ทำเลที่ตั้ง

คลิ๊กดูรูปภาพแผนที่

ข้อมูลติดต่อ

ธนาคารอาคารสงเคราะห์
  • ฝ่ายบริหารหนี้ภูมิภาค ติดต่อ 0-2645-9000 กด 5 วันทำการ เวลา 8.30 น. - 16.30 น. (คุณทรรศยา วารีอรุณโรจน์ โทร 06-4868-7162 สาขาสุราษฎร์ธานี)
เบอร์ติดต่อธนาคาร
  • 0-2645-9000
  • โทร. 0-2645-9000
  • 06-4868-7162
  • โทร. 06-4868-7162
  • ติดต่อธนาคาร