ค้นหาบ้านมือสองธอส.
ลองเปลี่ยนมาใช้ผ่านแอปดูสิ ใช้ง่าย รวดเร็ว โหลดเลย!
รายการถูกใจล่าสุด
แสดง: 0 รายการ

ขายบ้านเดี่ยว (ศรัญญาวิลเลจ)

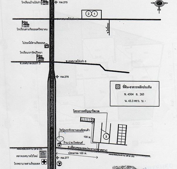
ต.ไร่เก่า อ.ปราณบุรี จ.ประจวบคีรีขันธ์

฿ 800,000

รหัสทรัพย์ 7706108341
7706108341
฿ 800,000
ประเภททรัพย์
บ้านเดี่ยว
โครงการ
ศรัญญาวิลเลจ
43.3 ตร.ว.
1 ชั้น

ที่ตั้ง

เลขที่โฉนด/นส 3ก.
4504
เลขที่
403/17
โครงการ
ศรัญญาวิลเลจ
ซอย
ม.ศรัญญาวิลเลจ
ถนน
เลียบคลองชลประทาน
แขวง/ตำบล
ไร่เก่า
เขต/อำเภอ
ปราณบุรี
จังหวัด
ประจวบคีรีขันธ์

รายละเอียดเพิ่มเติม

ซื้อทรัพย์แล้วยื่นกู้ได้เลย โดยใช้สินเชื่อสำหรับซื้อทรัพย์ NPA ของธนาคาร อัตราดอกเบี้ย 0% นาน 18 เดือน *เงื่อนไขเป็นไปตามที่ธนาคารกำหนด

ทำเลที่ตั้ง

คลิ๊กดูรูปภาพแผนที่

ข้อมูลติดต่อ

ธนาคารอาคารสงเคราะห์
  • ฝ่ายบริหารหนี้ภูมิภาค ติดต่อ 0-2645-9000 กด 5 วันทำการ เวลา 8.30 น. - 16.30 น. (คุณณิชาภา ทับแพ โทร 08-5485-4207: คุณปทิตตา น้อยปราณี 09-9123-7513 สาขาประจวบคีรีขันธ์)
เบอร์ติดต่อธนาคาร
  • 0-2645-9000
  • โทร. 0-2645-9000
  • 08-5485-4207
  • โทร. 08-5485-4207
  • ติดต่อธนาคาร