ค้นหาบ้านมือสองธอส.
ลองเปลี่ยนมาใช้ผ่านแอปดูสิ ใช้ง่าย รวดเร็ว โหลดเลย!
รายการถูกใจล่าสุด
แสดง: 0 รายการ

ขายทาวน์เฮ้าส์

ต.สะเดียง อ.เมืองเพชรบูรณ์ จ.เพชรบูรณ์

฿ 1,380,000

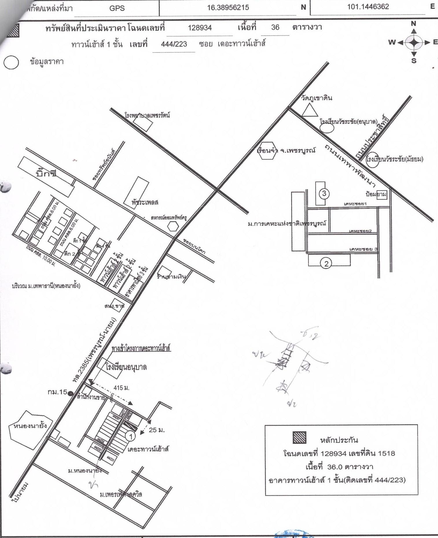
รหัสทรัพย์ 6701104401
6701104401
฿ 1,380,000
ประเภททรัพย์
ทาวน์เฮ้าส์
36 ตร.ว.
1 ชั้น

ที่ตั้ง

เลขที่โฉนด/นส 3ก.
128934
เลขที่
444/223
ซอย
เดอะทาวน์เฮ้าส์
ถนน
ทล.2385 (เพชรบูรณ์-น
แขวง/ตำบล
สะเดียง
เขต/อำเภอ
เมืองเพชรบูรณ์
จังหวัด
เพชรบูรณ์

รายละเอียดเพิ่มเติม

ในงาน งานประมูลขายบ้านมือสอง ธอส. ประจำปี 2569 ครั้งที่ 1

ราคาพิเศษเฉพาะงานประมูลบ้านมือสองธอส. ประจำปี 2569 ครั้งที่ 1 จัดขึ้นในวันเสาร์ที่ 14 มีนาคม 2569 ลงชื่อเข้าร่วมประมูลได้ตั้งแต่เวลา 8.00 น. เป็นต้นไปและเริ่มทำการประมูลตั้งแต่เวลา 10.00 - 16.00 น. ณ ที่ทำการสาขาภูมิภาค (ประมูลพร้อมกันทั่วประเทศ) พิเศษ!!! สามารถใช้ผลิตภัณฑ์สินเชื่อ NPA Special Event ปี 2568 อัตราดอกเบี้ย 0% นาน 2 ปี * เงื่อนไขเป็นไปตามที่ธนาคารกำหนด

  •   ณ ห้องพิมานมาศ อาคารจอดรถ ชั้น 11 ธอส. สำนักงานใหญ่ สำหรับทรัพย์ภูมิภาค ประมูล ณ สาขาที่ตั้งทรัพย์
  •   14 มี.ค. 2569 วันเดียวเท่านั้น
  •   10:00-16:00 น.

ทำเลที่ตั้ง

คลิ๊กดูรูปภาพแผนที่

ข้อมูลติดต่อ

ธนาคารอาคารสงเคราะห์
  • ฝ่ายบริหารหนี้ภูมิภาค ติดต่อ 0-2645-9000 กด 5 วันทำการ เวลา 8.30 น. - 16.30 น. (คุณกัญเรศ ขุนคำ โทร 08-5839-3790 สาขาเพชรบูรณ์)
เบอร์ติดต่อธนาคาร
  • 0-2645-9000
  • โทร. 0-2645-9000
  • 08-5839-3787
  • โทร. 08-5839-3787
  • ติดต่อธนาคาร