ขายทาวน์เฮ้าส์ (การเคหะแห่งชาติ)
ต.สะเดียง อ.เมืองเพชรบูรณ์ จ.เพชรบูรณ์
฿ 995,000
รหัสทรัพย์ 6701103581
6701103581
฿ 995,000
ประเภททรัพย์
ทาวน์เฮ้าส์
ลำดับทรัพย์ที่
2548
โครงการ
การเคหะแห่งชาติ
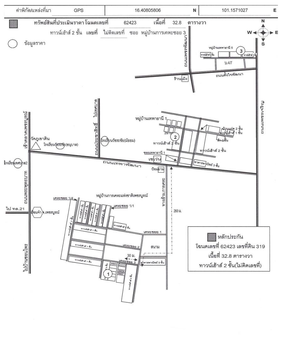
32.8 ตร.ว.
2 ชั้น
ที่ตั้ง
เลขที่โฉนด/นส 3ก.
62423
เลขที่
500/234
โครงการ
การเคหะแห่งชาติ
ซอย
การเคหะชุมชน ซ3
ถนน
เทพาพัฒนา
แขวง/ตำบล
สะเดียง
เขต/อำเภอ
เมืองเพชรบูรณ์
จังหวัด
เพชรบูรณ์
รายละเอียดเพิ่มเติม
ในงาน โครงการทรัพย์ตรงใจ
โครงการทรัพย์ตรงใจ ราคาโปรโมชั่นนี้สามารถซื้อและทำสัญญาฯ ได้ถึงวันที่ 25 กันยายน 2569 ซื้อทรัพย์แล้วยื่นกู้ได้เลย โดยใช้สินเชื่อสำหรับซื้อทรัพย์ NPA ของธนาคาร อัตราดอกเบี้ย 0% นาน 12 เดือน *เงื่อนไขเป็นไปตามที่ธนาคารกำหนด
- ฝ่ายบริหาร NPA อาคาร 2 ชั้น 2 ธอส.สำนักงานใหญ่ สำหรับทรัพย์ส่วนภูมิภาค ติดต่อได้ ณ สาขาที่ตั้งทรัพย์
- วันนี้เป็นต้นไป
- 08:30-16:30 น.
ข้อมูลติดต่อ
ธนาคารอาคารสงเคราะห์
- ฝ่ายบริหารหนี้ภูมิภาค ติดต่อ 0-2645-9000 กด 5 วันทำการ เวลา 8.30 น. - 16.30 น. (คุณกัญเรศ ขุนคำ โทร 08-5839-3790 สาขาเพชรบูรณ์)
เบอร์ติดต่อธนาคาร
- 0-2645-9000
-
โทร. 0-2645-9000
- 08-5839-3787
-
โทร. 08-5839-3787
-
โทรติดต่อธนาคาร
ใช่ไหม?