ค้นหาบ้านมือสองธอส.
ลองเปลี่ยนมาใช้ผ่านแอปดูสิ ใช้ง่าย รวดเร็ว โหลดเลย!
รายการถูกใจล่าสุด
แสดง: 0 รายการ

ขายบ้านเดี่ยว

ต.ท่าฬ่อ อ.เมืองพิจิตร จ.พิจิตร

฿ 385,000

รหัสทรัพย์ 6601100411
6601100411
฿ 385,000
ประเภททรัพย์
บ้านเดี่ยว
ลำดับทรัพย์ที่
738
51 ตร.ว.
-

ที่ตั้ง

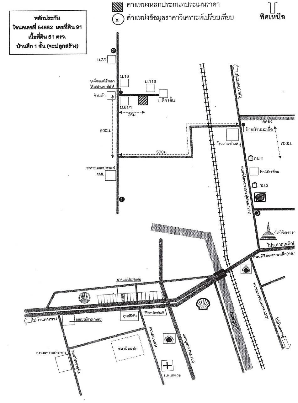
เลขที่โฉนด/นส 3ก.
54882
เลขที่
176 หมู่ 4
ซอย
-
ถนน
พิจิตร-บางกระทุ่ม
แขวง/ตำบล
ท่าฬ่อ
เขต/อำเภอ
เมืองพิจิตร
จังหวัด
พิจิตร

ทำเลที่ตั้ง

คลิ๊กดูรูปภาพแผนที่

ข้อมูลติดต่อ

ธนาคารอาคารสงเคราะห์
  • ฝ่ายบริหารหนี้ภูมิภาค ติดต่อ 0-2645-9000 กด 5 วันทำการ เวลา 8.30 น. - 16.30 น. (คุณวสุสุกิจจน์ อ่อนนา โทร 0-2645-9000 : 08-5839-3808 สาขาพิจิตร)
เบอร์ติดต่อธนาคาร
  • 0-2645-9000
  • โทร. 0-2645-9000
  • 08-5485-4225
  • โทร. 08-5485-4225
  • ติดต่อธนาคาร