ค้นหาบ้านมือสองธอส.
ลองเปลี่ยนมาใช้ผ่านแอปดูสิ ใช้ง่าย รวดเร็ว โหลดเลย!
รายการถูกใจล่าสุด
แสดง: 0 รายการ

ขายบ้านเดี่ยว (ฟิชชิ่ง ปาร์ค)

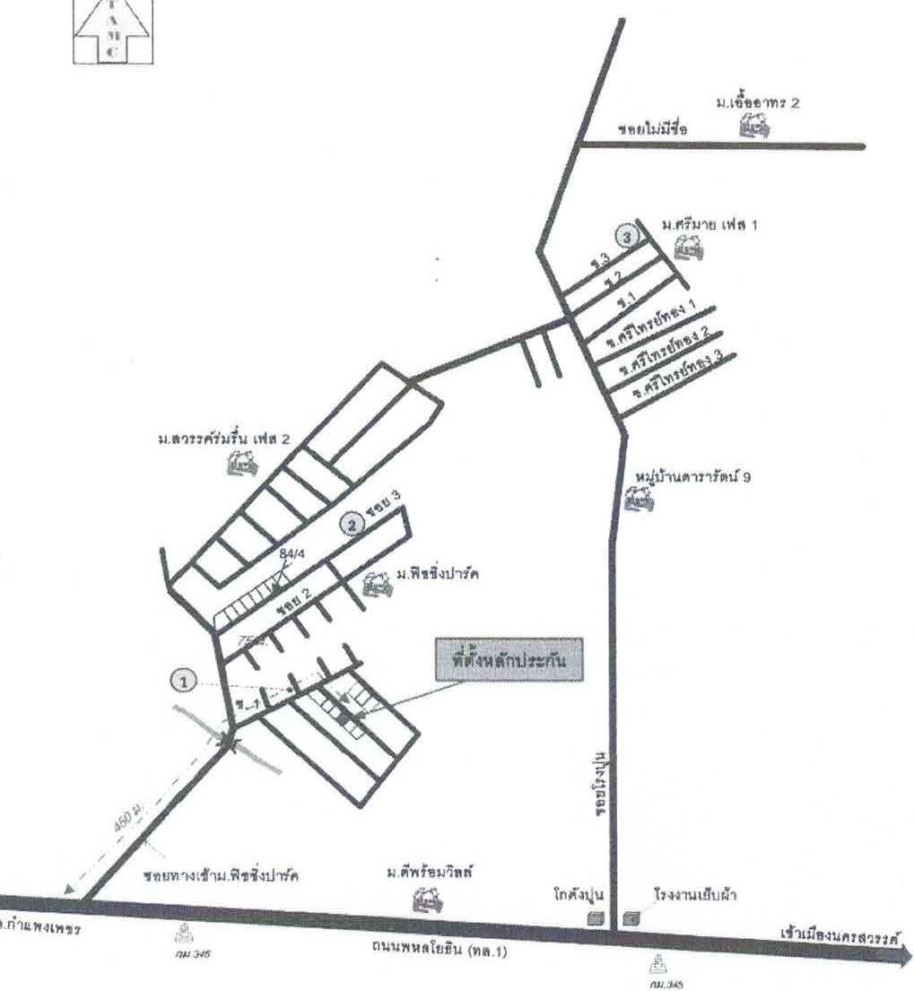
ต.วัดไทร อ.เมืองนครสวรรค์ จ.นครสวรรค์

฿ 1,595,000

รหัสทรัพย์ 6001108361
6001108361
฿ 1,595,000
ประเภททรัพย์
บ้านเดี่ยว
ลำดับทรัพย์ที่
2248
โครงการ
ฟิชชิ่ง ปาร์ค
55.7 ตร.ว.
1 ชั้น

ที่ตั้ง

เลขที่โฉนด/นส 3ก.
64685
เลขที่
84/130
โครงการ
ฟิชชิ่ง ปาร์ค
ซอย
ม.ฟิชชิ่ง ปาร์ค
ถนน
พหลโยธิน
แขวง/ตำบล
วัดไทร
เขต/อำเภอ
เมืองนครสวรรค์
จังหวัด
นครสวรรค์

รายละเอียดเพิ่มเติม

ในงาน โครงการทรัพย์ตรงใจ

โครงการทรัพย์ตรงใจ ราคาโปรโมชั่นนี้สามารถซื้อและทำสัญญาฯ ได้ถึงวันที่ 25 กันยายน 2569 ซื้อทรัพย์แล้วยื่นกู้ได้เลย โดยใช้สินเชื่อสำหรับซื้อทรัพย์ NPA ของธนาคาร อัตราดอกเบี้ย 0% นาน 12 เดือน *เงื่อนไขเป็นไปตามที่ธนาคารกำหนด

  •   ฝ่ายบริหาร NPA อาคาร 2 ชั้น 2 ธอส.สำนักงานใหญ่ สำหรับทรัพย์ส่วนภูมิภาค ติดต่อได้ ณ สาขาที่ตั้งทรัพย์
  •   วันนี้เป็นต้นไป
  •   08:30-16:30 น.

ทำเลที่ตั้ง

คลิ๊กดูรูปภาพแผนที่

ข้อมูลติดต่อ

ธนาคารอาคารสงเคราะห์
  • ฝ่ายบริหารหนี้ภูมิภาค ติดต่อ 0-2645-9000 กด 5 วันทำการ เวลา 8.30 น. - 16.30 น. (คุณชนัญญู คงสมภักดิ์ โทร 0-2645-9000 : 08-5485-4225 สาขานครสวรรค์)
เบอร์ติดต่อธนาคาร
  • 0-2645-9000
  • โทร. 0-2645-9000
  • 08-5839-3805
  • โทร. 08-5839-3805
  • ติดต่อธนาคาร