ค้นหาบ้านมือสองธอส.
ลองเปลี่ยนมาใช้ผ่านแอปดูสิ ใช้ง่าย รวดเร็ว โหลดเลย!

ขายทาวน์เฮ้าส์

ราคาทรัพย์ 1,770,000 บาท

  • เลขที่โฉนด/นส3.ก : -
  • รหัสทรัพย์: 5701103621
  • ลำดับทรัพย์ที่: -
  • ประเภททรัพย์: ทาวน์เฮ้าส์
  • โครงการ/หมู่บ้าน: -
  • ต.ริมกก อ.เมืองเชียงราย จ.เชียงราย
  • 17.2 ตร.ว.
  • 2 ชั้น

รายละเอียดทรัพย์

  • ประเภททรัพย์ ทาวน์เฮ้าส์
  • เนื้อที่ 17.2 ตร.ว.
  • จำนวนชั้น 2 ชั้น
  • ซอย -
  • ตำบล/แขวง ริมกก
  • จังหวัด เชียงราย
  • โครงการ/หมู่บ้าน -
  • พื้นที่ใช้สอย
    -
  • ที่ตั้งทรัพย์ -
  • ถนน บ.ฝั่งหมิ่น- บ.หนองบัวแดง
  • อำเภอ/เขต เมืองเชียงราย
  •  

รายละเอียดเพิ่มเติม

ในงาน โครงการทรัพย์ตรงใจ

โครงการทรัพย์ตรงใจ ในส่วนภูมิภาค ราคาโปรโมชั่นนี้สามารถซื้อและทำสัญญาฯได้ถึงวันที่ 26 มี.ค. 69 ซื้อทรัพย์แล้วยื่นกู้ได้เลย โดยใช้สินเชื่อสำหรับซื้อทรัพย์ NPA ของธนาคาร อัตราดอกเบี้ย 0% นาน 12 เดือน * เงื่อนไขเป็นไปตามที่ธนาคารกำหนด

  •   ฝ่ายบริหาร NPA อาคาร 2 ชั้น 2 ธอส.สำนักงานใหญ่ สำหรับทรัพย์ส่วนภูมิภาค ติดต่อได้ ณ สาขาที่ตั้งทรัพย์
  •   วันนี้เป็นต้นไป
  •   08:30-16:30 น.

ถ้าจะซื้อทรัพย์นี้ จะต้องผ่อนเดือนละเท่าไหร่

ราคาทรัพย์ 1,770,000 บาท

เงินจอง บาท
เงินประกันการเข้าอยู่ 1.5% บาท
เงินดาวน์
จำนวนเงินดาวน์ บาท
เงินดาวน์งวดที่1* บาท
เงินดาวน์งวดที่2
*
บาท

ชำระวันทำสัญญา เงินจอง + เงินประกันการเข้าอยู่ 1.5% + เงินดาวน์งวดที่ 1 บาท

จำนวนเงินขอสินเชื่อ บาท
ผ่อนชำระ ปี
อัตราดอกเบี้ย ปี
จำนวนเงินผ่อนชำระ* บาท/เดือน

หมายเหตุ
  • ยอดการผ่อนชำระเป็นเพียงการประมาณการในเบื้องต้น ส่วนการอนุมัติสินเชื่อสงวนสิทธิ์ เป็นไปตามหลักเกณฑ์ของธนาคารและคุณสมบัติของผู้กู้ และอัตราดอกเบี้ยอ้างอิงจากดอกเบี้ยเงินกู้ร้อยละ 6.245
  • เงินดาวน์ 10%
    177,000 บาท
  • ผ่อนดาวน์ (ต่องวด)
    14,700 บาท

  • ยอดจัดสินเชื่อ
    1,593,000 บาท
  • อัตราผ่อนชำระ (ต่อเดือน)
    9,900 บาท
หมายเหตุ
  • ยอดการผ่อนชำระเป็นเพียงการประมาณการในเบื้องต้น ส่วนการอนุมัติสินเชื่อสงวนสิทธิ์ เป็นไปตามหลักเกณฑ์ของธนาคารและคุณสมบัติของผู้กู้ และอัตราดอกเบี้ยอ้างอิงจากดอกเบี้ยเงินกู้ร้อยละ 6.245

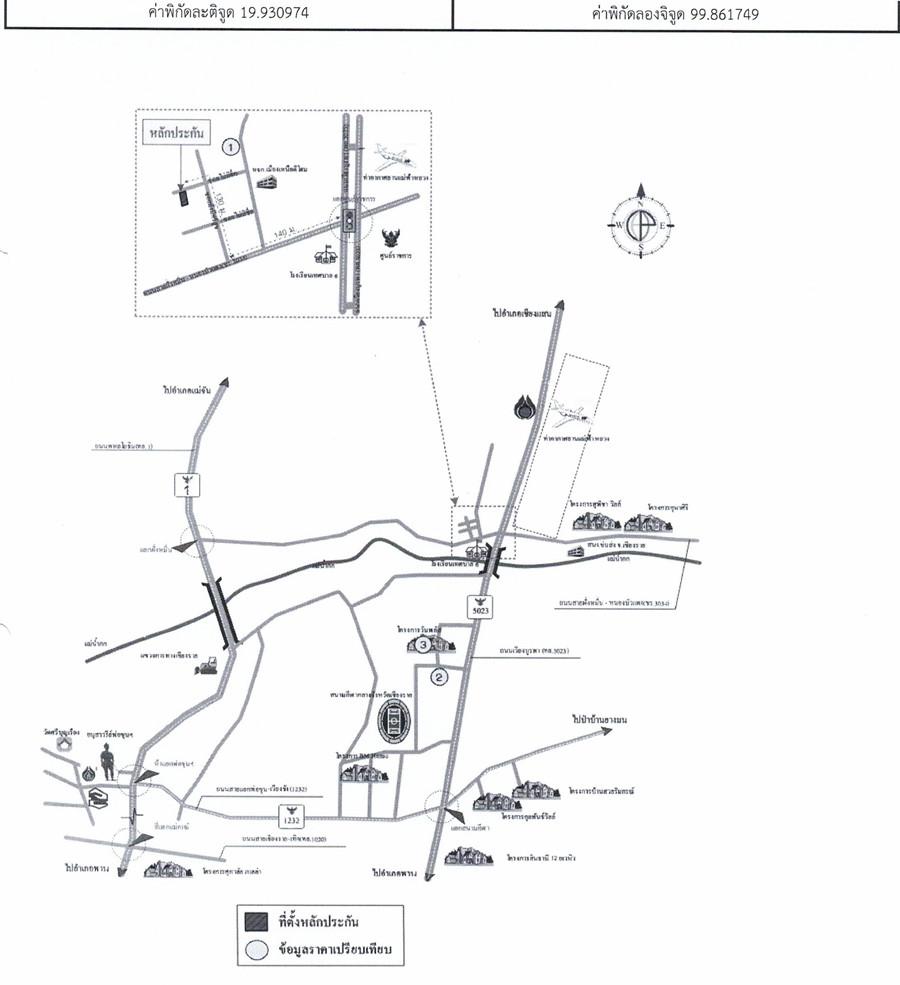
ทำเลที่ตั้ง

คลิ๊กดูรูปภาพแผนที่

ข้อมูลติดต่อ

ธนาคารอาคารสงเคราะห์
  • ฝ่ายบริหารหนี้ภูมิภาค ติดต่อ 0-2645-9000 กด 5 วันทำการ เวลา 8.30 น. - 16.30 น. (คุณรณรบ ศรีเมืองมูล : คุณอรจิรา โยสิทธิ์ โทร 08-5839-3613 สาขาเชียงราย)
เบอร์ติดต่อธนาคาร
  • 0-2645-9000
  • โทร. 0-2645-9000
  • 08-5839-3613
  • โทร. 08-5839-3613
  • ติดต่อธนาคาร