ค้นหาบ้านมือสองธอส.
ลองเปลี่ยนมาใช้ผ่านแอปดูสิ ใช้ง่าย รวดเร็ว โหลดเลย!
รายการถูกใจล่าสุด
แสดง: 0 รายการ

ขายบ้านเดี่ยว (พฤกษ์พนา)

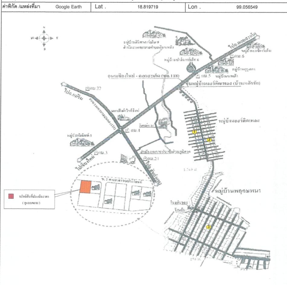
ต.สันปูเลย อ.ดอยสะเก็ด จ.เชียงใหม่

฿ 2,900,000

รหัสทรัพย์ 5005103121
5005103121
฿ 2,900,000
ประเภททรัพย์
บ้านเดี่ยว
โครงการ
พฤกษ์พนา
50 ตร.ว.
1 ชั้น

ที่ตั้ง

เลขที่โฉนด/นส 3ก.
66289
เลขที่
301/243
โครงการ
พฤกษ์พนา
ซอย
โครงการหมู่บ้านหลักช
ถนน
สายเชียงใหม่-ดอยสะเก
แขวง/ตำบล
สันปูเลย
เขต/อำเภอ
ดอยสะเก็ด
จังหวัด
เชียงใหม่

รายละเอียดเพิ่มเติม

ซื้อทรัพย์แล้วยื่นกู้ได้เลย โดยใช้สินเชื่อสำหรับซื้อทรัพย์ NPA ของธนาคาร อัตราดอกเบี้ย 0% นาน 12 เดือน *เงื่อนไขเป็นไปตามที่ธนาคารกำหนด

ทำเลที่ตั้ง

คลิ๊กดูรูปภาพแผนที่

ข้อมูลติดต่อ

ธนาคารอาคารสงเคราะห์
  • ฝ่ายบริหารหนี้ภูมิภาค ติดต่อ 0-2645-9000 กด 5 วันทำการ เวลา 8.30 น. - 16.30 น. (คุณเจษฎากร คำเขื่อน โทร 0-2645-9000 : 08-5839-3510 สาขาสุเทพ)
เบอร์ติดต่อธนาคาร
  • 0-2645-9000
  • โทร. 0-2645-9000
  • 08-5839-3510
  • โทร. 08-5839-3510
  • ติดต่อธนาคาร