ค้นหาบ้านมือสองธอส.
ลองเปลี่ยนมาใช้ผ่านแอปดูสิ ใช้ง่าย รวดเร็ว โหลดเลย!
  • เลขที่โฉนด/นส3.ก : -
  • รหัสทรัพย์: 4901101391
  • ลำดับทรัพย์ที่: -
  • ประเภททรัพย์: บ้านเดี่ยว
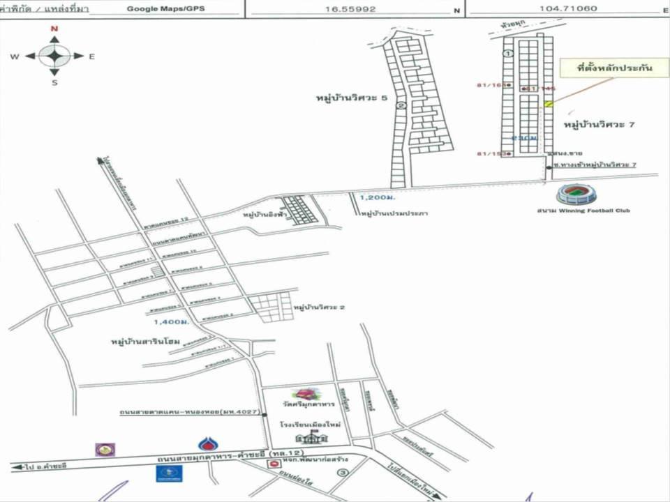
  • โครงการ/หมู่บ้าน: วิศวะ7
  • ต.มุกดาหาร อ.เมืองมุกดาหาร จ.มุกดาหาร
  • 57.3 ตร.ว.
  • 1 ชั้น

รายละเอียดทรัพย์

  • ประเภททรัพย์ บ้านเดี่ยว
  • เนื้อที่ 57.3 ตร.ว.
  • จำนวนชั้น 1 ชั้น
  • ซอย ม.วิศวะ7
  • ตำบล/แขวง มุกดาหาร
  • จังหวัด มุกดาหาร
  • โครงการ/หมู่บ้าน วิศวะ7
  • พื้นที่ใช้สอย
    -
  • ที่ตั้งทรัพย์ 81/108
  • ถนน ตาดแคน12
  • อำเภอ/เขต เมืองมุกดาหาร
  •  

รายละเอียดเพิ่มเติม

ในงาน GHB'S NPA ONLINE AUCTION 2025 ประจำเดือนตุลาคม

งานประมูลขายบ้านมือสองออนไลน์ GHB'S NPA ONLINE AUCTION 2025 ประจำเดือนตุลาคม จัดขึ้นในวันที่ 10 ตุลาคม 2568 เปิดประมูลตั้งแต่เวลา 12.00 น. - 12.30 น. ผ่าน GHB ALL HOME Application โดยวางเงินประกันประมูลออนไลน์ จำนวน 10000 บาท ต่อ 1 รายการทรัพย์ได้ตั้งแต่วันนี้ - 8 ตุลาคม 2568 พิเศษ!!! สามารถใช้ผลิตภัณฑ์สินเชื่อ NPA Special Event ปี 2568 อัตราดอกเบี้ย 0% นาน 2 ปี * เงื่อนไขเป็นไปตามที่ธนาคารกำหนด

  •   GHB ALL HOME Mobile Application
  •   10 ต.ค. 2568 วันเดียวเท่านั้น
  •   12:00-12:30 น.

ถ้าจะซื้อทรัพย์นี้ จะต้องผ่อนเดือนละเท่าไหร่

ราคาทรัพย์ 2,125,000 บาท

เงินจอง บาท
เงินประกันการเข้าอยู่ 1.5% บาท
เงินดาวน์
จำนวนเงินดาวน์ บาท
เงินดาวน์งวดที่1* บาท
เงินดาวน์งวดที่2
*
บาท

ชำระวันทำสัญญา เงินจอง + เงินประกันการเข้าอยู่ 1.5% + เงินดาวน์งวดที่ 1 บาท

จำนวนเงินขอสินเชื่อ บาท
ผ่อนชำระ ปี
อัตราดอกเบี้ย ปี
จำนวนเงินผ่อนชำระ* บาท/เดือน

หมายเหตุ
  • ยอดการผ่อนชำระเป็นเพียงการประมาณการในเบื้องต้น ส่วนการอนุมัติสินเชื่อสงวนสิทธิ์ เป็นไปตามหลักเกณฑ์ของธนาคารและคุณสมบัติของผู้กู้ และอัตราดอกเบี้ยอ้างอิงจากดอกเบี้ยเงินกู้ร้อยละ 6.245
  • เงินดาวน์ 10%
    213,000 บาท
  • ผ่อนดาวน์ (ต่องวด)
    17,700 บาท

  • ยอดจัดสินเชื่อ
    1,912,000 บาท
  • อัตราผ่อนชำระ (ต่อเดือน)
    11,800 บาท
หมายเหตุ
  • ยอดการผ่อนชำระเป็นเพียงการประมาณการในเบื้องต้น ส่วนการอนุมัติสินเชื่อสงวนสิทธิ์ เป็นไปตามหลักเกณฑ์ของธนาคารและคุณสมบัติของผู้กู้ และอัตราดอกเบี้ยอ้างอิงจากดอกเบี้ยเงินกู้ร้อยละ 6.245

ทำเลที่ตั้ง

คลิ๊กดูรูปภาพแผนที่

ข้อมูลติดต่อ

ธนาคารอาคารสงเคราะห์
  • ฝ่ายบริหารหนี้ภูมิภาค ติดต่อ 0-2645-9000 กด 5 วันทำการ เวลา 8.30 น. - 16.30 น. (คุณยุทธนา นิติวัฒนะ โทร 06-3217-6042 สาขามุกดาหาร)
เบอร์ติดต่อธนาคาร
  • 0-2645-9000
  • โทร. 0-2645-9000
  • 06-3217-6042
  • โทร. 06-3217-6042
  • ติดต่อธนาคาร