ค้นหาบ้านมือสองธอส.
ลองเปลี่ยนมาใช้ผ่านแอปดูสิ ใช้ง่าย รวดเร็ว โหลดเลย!

ขายบ้านเดี่ยว

ราคาทรัพย์ 790,000 บาท

  • เลขที่โฉนด/นส3.ก : -
  • รหัสทรัพย์: 4407100191
  • ลำดับทรัพย์ที่: -
  • ประเภททรัพย์: บ้านเดี่ยว
  • โครงการ/หมู่บ้าน: -
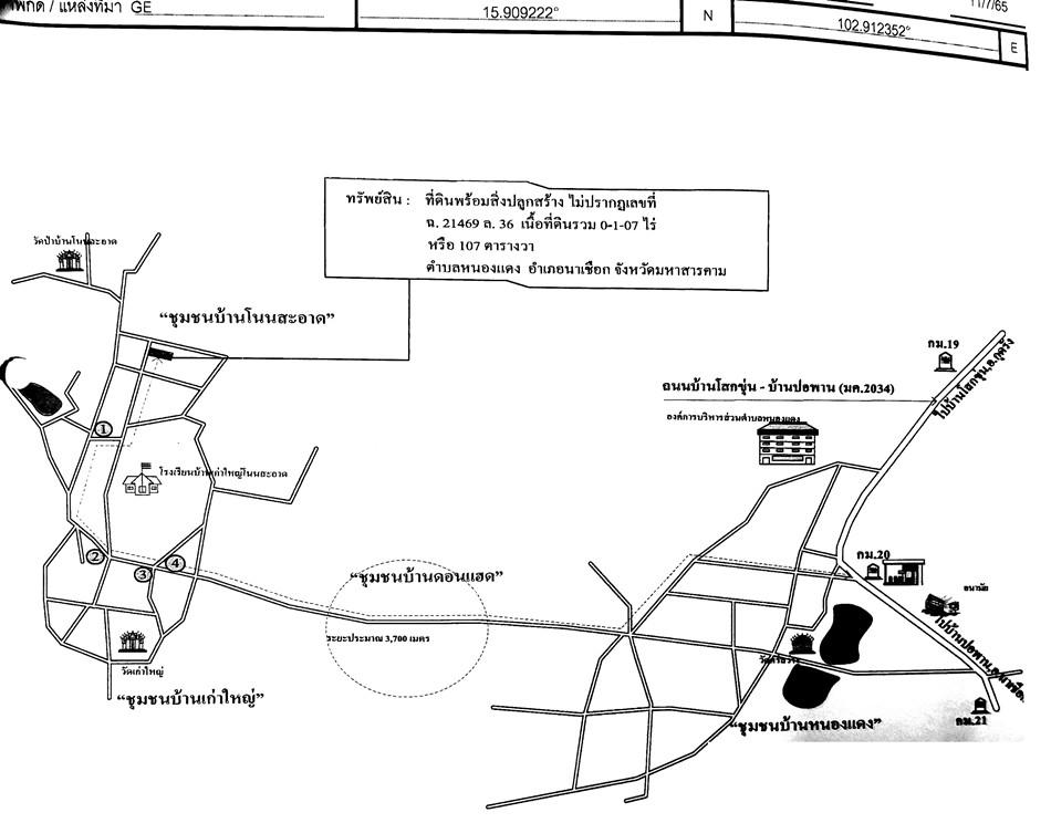
  • ต.หนองแดง อ.นาเชือก จ.มหาสารคาม
  • 107 ตร.ว.
  • 1 ชั้น

รายละเอียดทรัพย์

  • ประเภททรัพย์ บ้านเดี่ยว
  • เนื้อที่ 107 ตร.ว.
  • จำนวนชั้น 1 ชั้น
  • ซอย ทางเข้าบ้านโนนสะอาด
  • ตำบล/แขวง หนองแดง
  • จังหวัด มหาสารคาม
  • โครงการ/หมู่บ้าน -
  • พื้นที่ใช้สอย
    -
  • ที่ตั้งทรัพย์ 54
  • ถนน สายโสกขุ่น-ปอพาน
  • อำเภอ/เขต นาเชือก
  •  

รายละเอียดเพิ่มเติม

ในงาน งานมหกรรมการเงินอุดรธานี ครั้งที่ 12 (ขยายระยะเวลา)

ราคาพิเศษเฉพาะงานมหกรรมการเงินอุดรธานี ครั้งที่ 12 ณ เซ็นทรัล อุดรธานี ในวันที่ 3-5 ตุลาคม 2568 ตั้งแต่เวลา 10.00 น. - 20.00 น. หรือ ณ สาขาที่ทำการภูมิภาค พิเศษ 3 ต่อ...ต่อที่ 1 สามารถใช้ผลิตภัณฑ์สินเชื่อ NPA Special Event ปี 2568 อัตราดอกเบี้ย 0% นาน 2 ปี ต่อที่ 2 ทำสัญญาจะซื้อจะขายภายในกำหนดรับบัตรกำนัลแทนเงินสดมูลค่า 1000 บาท ต่อที่ 3 โอนกรรมสิทธิ์ภายในกำหนดรับบัตรกำนัลแทนเงินสดมูลค่า 1000 บาท * เงื่อนไขเป็นไปตามที่ธนาคารกำหนด

  •   ณ ที่ทำการสาขาภูมิภาค
  •   6 - 10 ต.ค. 2568
  •   08:30-15:30 น.

ถ้าจะซื้อทรัพย์นี้ จะต้องผ่อนเดือนละเท่าไหร่

ราคาทรัพย์ 790,000 บาท

เงินจอง บาท
เงินประกันการเข้าอยู่ 1.5% บาท
เงินดาวน์
จำนวนเงินดาวน์ บาท
เงินดาวน์งวดที่1* บาท
เงินดาวน์งวดที่2
*
บาท

ชำระวันทำสัญญา เงินจอง + เงินประกันการเข้าอยู่ 1.5% + เงินดาวน์งวดที่ 1 บาท

จำนวนเงินขอสินเชื่อ บาท
ผ่อนชำระ ปี
อัตราดอกเบี้ย ปี
จำนวนเงินผ่อนชำระ* บาท/เดือน

หมายเหตุ
  • ยอดการผ่อนชำระเป็นเพียงการประมาณการในเบื้องต้น ส่วนการอนุมัติสินเชื่อสงวนสิทธิ์ เป็นไปตามหลักเกณฑ์ของธนาคารและคุณสมบัติของผู้กู้ และอัตราดอกเบี้ยอ้างอิงจากดอกเบี้ยเงินกู้ร้อยละ 6.245
  • เงินดาวน์ 10%
    79,000 บาท
  • ผ่อนดาวน์ (ต่องวด)
    6,500 บาท

  • ยอดจัดสินเชื่อ
    711,000 บาท
  • อัตราผ่อนชำระ (ต่อเดือน)
    4,400 บาท
หมายเหตุ
  • ยอดการผ่อนชำระเป็นเพียงการประมาณการในเบื้องต้น ส่วนการอนุมัติสินเชื่อสงวนสิทธิ์ เป็นไปตามหลักเกณฑ์ของธนาคารและคุณสมบัติของผู้กู้ และอัตราดอกเบี้ยอ้างอิงจากดอกเบี้ยเงินกู้ร้อยละ 6.245

ทำเลที่ตั้ง

คลิ๊กดูรูปภาพแผนที่

ข้อมูลติดต่อ

ธนาคารอาคารสงเคราะห์
  • ฝ่ายบริหารหนี้ภูมิภาค ติดต่อ 0-2645-9000 กด 5 วันทำการ เวลา 8.30 น. - 16.30 น. (คุณกิ่งแก้ว โลเกต โทร 09-5375-8637 : 08-5839-5780 สาขามหาสารคาม)
เบอร์ติดต่อธนาคาร
  • 0-2645-9000
  • โทร. 0-2645-9000
  • 09-5375-8637
  • โทร. 09-5375-8637
  • 08-5839-5780
  • โทร. 08-5839-5780
  • ติดต่อธนาคาร