ค้นหาบ้านมือสองธอส.
ลองเปลี่ยนมาใช้ผ่านแอปดูสิ ใช้ง่าย รวดเร็ว โหลดเลย!
  • เลขที่โฉนด/นส3.ก : -
  • รหัสทรัพย์: 4301101131
  • ลำดับทรัพย์ที่: -
  • ประเภททรัพย์: บ้านเดี่ยว
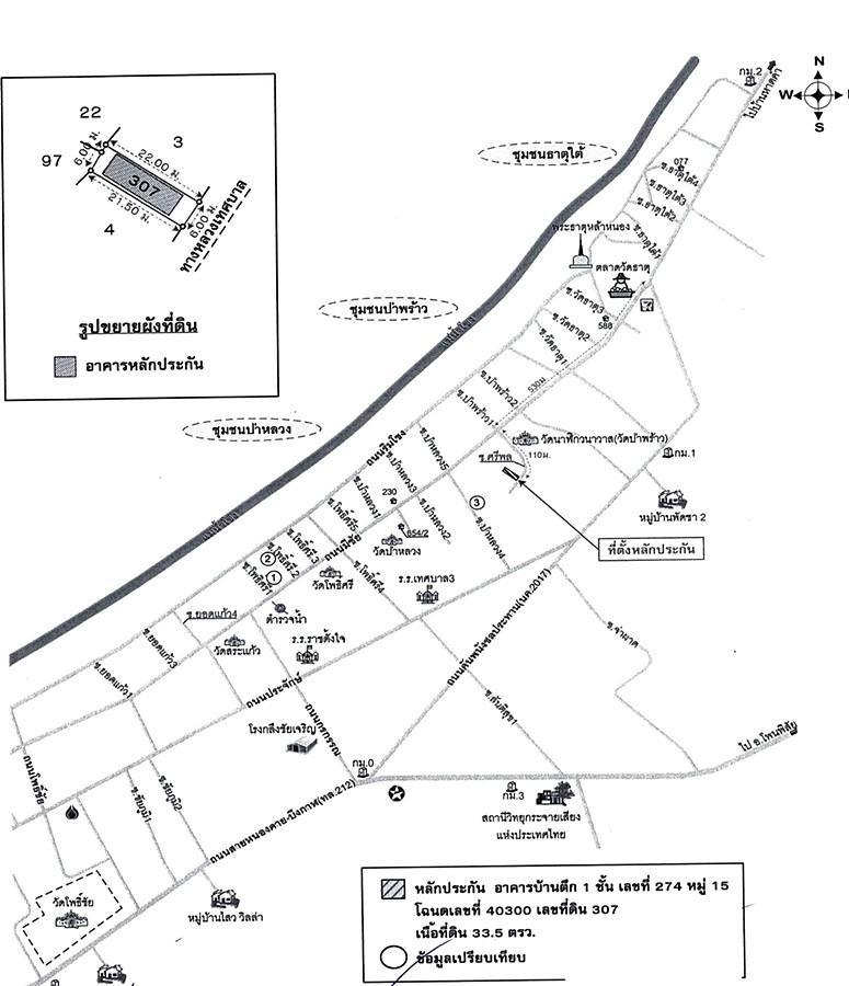
  • โครงการ/หมู่บ้าน: ชุมชนป่าพร้าว
  • ต.ในเมือง อ.เมืองหนองคาย จ.หนองคาย
  • 33.5 ตร.ว.
  • 1 ชั้น

รายละเอียดทรัพย์

  • ประเภททรัพย์ บ้านเดี่ยว
  • เนื้อที่ 33.5 ตร.ว.
  • จำนวนชั้น 1 ชั้น
  • ซอย ทางเข้าวัดป่าพร้าว
  • ตำบล/แขวง ในเมือง
  • จังหวัด หนองคาย
  • โครงการ/หมู่บ้าน ชุมชนป่าพร้าว
  • พื้นที่ใช้สอย
    -
  • ที่ตั้งทรัพย์ 274
  • ถนน มีชัย
  • อำเภอ/เขต เมืองหนองคาย
  •  

รายละเอียดเพิ่มเติม

ในงาน GHB ALL HOME FLASH SALE 2025

ราคาพิเศษเฉพาะงาน GHB ALL HOME Flash Sale 2025 จัดขึ้นระหว่างวันที่ 6 - 17 ตุลาคม 2568 ณ เคาน์เตอร์ขายทรัพย์ NPA อาคาร 2 ชั้น 2 ธนาคารอาคารสงเคราะห์ สำนักงานใหญ่ หรือ ณ สาขาที่ตั้งทรัพย์ ผู้สนใจวางเงินจองซื้อทรัพย์จำนวน 5000 บาท ต่อ 1 รายการ พิเศษ!!!สามารถใช้ผลิตภัณฑ์สินเชื่อ NPA Special Event ปี 2568 อัตราดอกเบี้ย 0% นาน 2 ปี * เงื่อนไขเป็นไปตามที่ธนาคารกำหนด

  •   ณ เคาเตอร์ขายทรัพย์ NPA อาคาร 2 ชั้น 2 ธนาคารอาคารสงเคราะห์ สำนักงานใหญ่ และสาขาที่ทำการภูมิภาค
  •   6 - 17 ต.ค. 2568
  •   08:30-15:30 น.

ถ้าจะซื้อทรัพย์นี้ จะต้องผ่อนเดือนละเท่าไหร่

ราคาทรัพย์ 415,000 บาท

เงินจอง บาท
เงินประกันการเข้าอยู่ 1.5% บาท
เงินดาวน์
จำนวนเงินดาวน์ บาท
เงินดาวน์งวดที่1* บาท
เงินดาวน์งวดที่2
*
บาท

ชำระวันทำสัญญา เงินจอง + เงินประกันการเข้าอยู่ 1.5% + เงินดาวน์งวดที่ 1 บาท

จำนวนเงินขอสินเชื่อ บาท
ผ่อนชำระ ปี
อัตราดอกเบี้ย ปี
จำนวนเงินผ่อนชำระ* บาท/เดือน

หมายเหตุ
  • ยอดการผ่อนชำระเป็นเพียงการประมาณการในเบื้องต้น ส่วนการอนุมัติสินเชื่อสงวนสิทธิ์ เป็นไปตามหลักเกณฑ์ของธนาคารและคุณสมบัติของผู้กู้ และอัตราดอกเบี้ยอ้างอิงจากดอกเบี้ยเงินกู้ร้อยละ 6.245
  • เงินดาวน์ 10%
    42,000 บาท
  • ผ่อนดาวน์ (ต่องวด)
    3,500 บาท

  • ยอดจัดสินเชื่อ
    373,000 บาท
  • อัตราผ่อนชำระ (ต่อเดือน)
    2,300 บาท
หมายเหตุ
  • ยอดการผ่อนชำระเป็นเพียงการประมาณการในเบื้องต้น ส่วนการอนุมัติสินเชื่อสงวนสิทธิ์ เป็นไปตามหลักเกณฑ์ของธนาคารและคุณสมบัติของผู้กู้ และอัตราดอกเบี้ยอ้างอิงจากดอกเบี้ยเงินกู้ร้อยละ 6.245

ทำเลที่ตั้ง

คลิ๊กดูรูปภาพแผนที่

ข้อมูลติดต่อ

ธนาคารอาคารสงเคราะห์
  • ฝ่ายบริหารหนี้ภูมิภาค ติดต่อ 0-2645-9000 กด 5 วันทำการ เวลา 8.30 น. - 16.30 น. (คุณปิยวัจน์ ปุนนา โทร 08-5839-6091 สาขาหนองคาย)
เบอร์ติดต่อธนาคาร
  • 0-2645-9000
  • โทร. 0-2645-9000
  • 08-5839-6091
  • โทร. 08-5839-6091
  • ติดต่อธนาคาร