ค้นหาบ้านมือสองธอส.
ลองเปลี่ยนมาใช้ผ่านแอปดูสิ ใช้ง่าย รวดเร็ว โหลดเลย!
รายการถูกใจล่าสุด
แสดง: 0 รายการ

ขายทาวน์เฮ้าส์ (ไม่มีชื่อ)

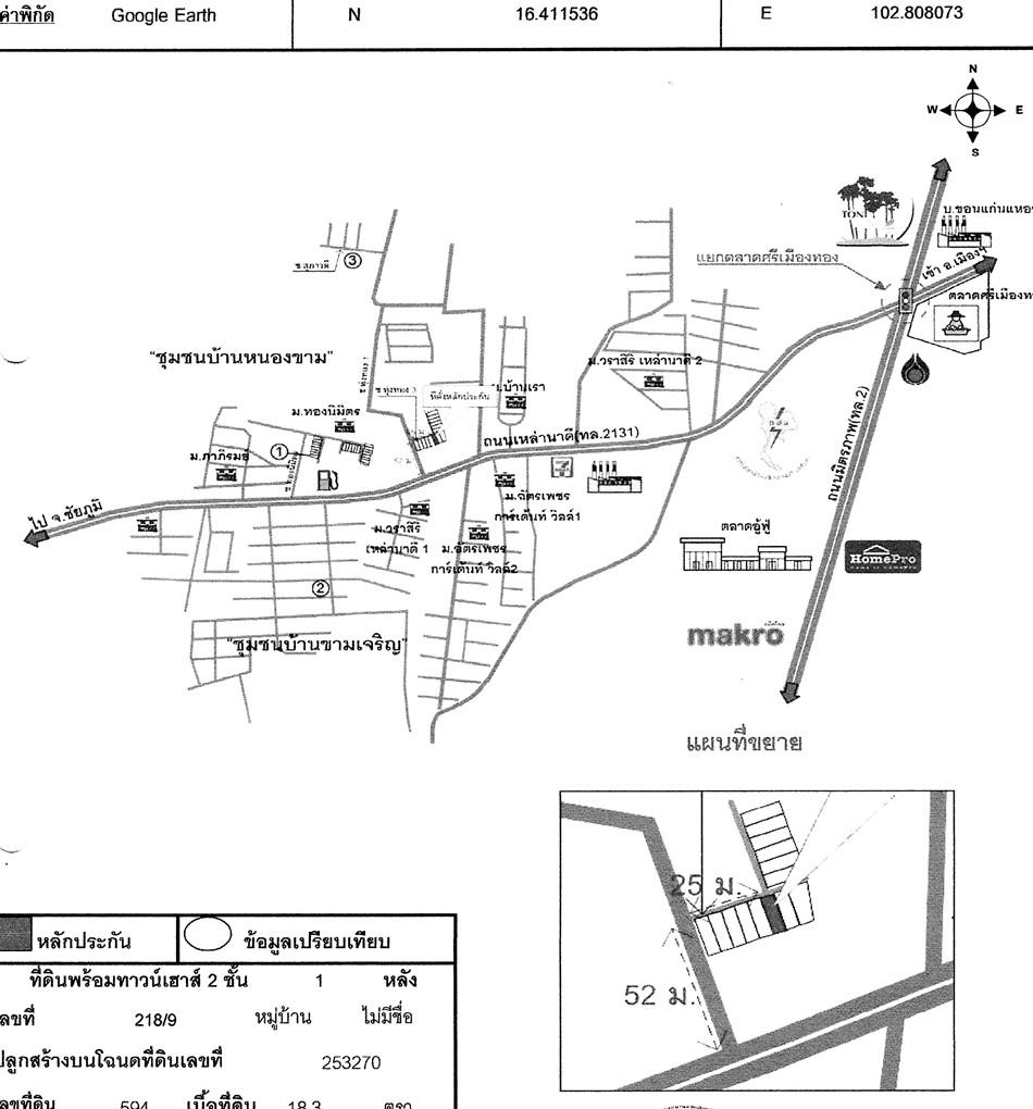
ต.บ้านเป็ด อ.เมืองขอนแก่น จ.ขอนแก่น

฿ 1,685,000

รหัสทรัพย์ 4001122701
4001122701
฿ 1,685,000
ประเภททรัพย์
ทาวน์เฮ้าส์
โครงการ
ไม่มีชื่อ
18.3 ตร.ว.
2 ชั้น

ที่ตั้ง

เลขที่โฉนด/นส 3ก.
253270
เลขที่
218/9
โครงการ
ไม่มีชื่อ
ซอย
ซอยทุ่งทอง 1 / ซอยทุ่งทอง
ถนน
เหล่านาดี (ทล.2131)
แขวง/ตำบล
บ้านเป็ด
เขต/อำเภอ
เมืองขอนแก่น
จังหวัด
ขอนแก่น

รายละเอียดเพิ่มเติม

ซื้อทรัพย์แล้วยื่นกู้ได้เลย โดยใช้สินเชื่อสำหรับซื้อทรัพย์ NPA ของธนาคาร อัตราดอกเบี้ย 0% นาน 12 เดือน *เงื่อนไขเป็นไปตามที่ธนาคารกำหนด

ทำเลที่ตั้ง

คลิ๊กดูรูปภาพแผนที่

ข้อมูลติดต่อ

ธนาคารอาคารสงเคราะห์
  • ฝ่ายบริหารหนี้ภูมิภาค ติดต่อ 0-2645-9000 กด 5 วันทำการ เวลา 8.30 น. - 16.30 น. (คุณกิ่งแก้ว โลเกต โทร 09-5375-8621 สาขาขอนแก่น)
เบอร์ติดต่อธนาคาร
  • 0-2645-9000
  • โทร. 0-2645-9000
  • 09-5375-8621
  • โทร. 09-5375-8621
  • ติดต่อธนาคาร