ขายทาวน์เฮ้าส์ (ซิตี้แลนด์)
ต.นอกเมือง อ.เมืองสุรินทร์ จ.สุรินทร์
฿ 1,175,000
รหัสทรัพย์ 3201102201
3201102201
฿ 1,175,000
ประเภททรัพย์
ทาวน์เฮ้าส์
โครงการ
ซิตี้แลนด์
35 ตร.ว.
1 ชั้น
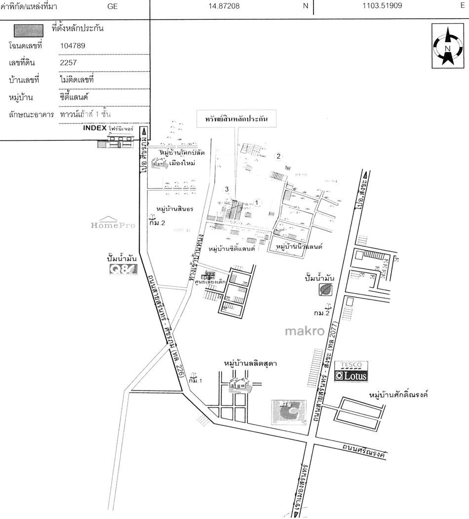
ที่ตั้ง
เลขที่โฉนด/นส 3ก.
104789
เลขที่
185/47
โครงการ
ซิตี้แลนด์
ซอย
บ้านทนง/ม.ซิตี้แลนด์
ถนน
ทางหลวงหมายเลข226(สุ
แขวง/ตำบล
นอกเมือง
เขต/อำเภอ
เมืองสุรินทร์
จังหวัด
สุรินทร์
รายละเอียดเพิ่มเติม
ซื้อทรัพย์แล้วยื่นกู้ได้เลย โดยใช้สินเชื่อสำหรับซื้อทรัพย์ NPA ของธนาคาร อัตราดอกเบี้ย 0% นาน 12 เดือน *เงื่อนไขเป็นไปตามที่ธนาคารกำหนด
ข้อมูลติดต่อ
ธนาคารอาคารสงเคราะห์
- ฝ่ายบริหารหนี้ภูมิภาค ติดต่อ 0-2645-9000 กด 5 วันทำการ เวลา 8.30 น. - 16.30 น. (คุณสันติ สร้อยดอก โทร 0-2645-9000 : 08-6665-6239 : 08-1832-7630 สาขาสุรินทร์)
เบอร์ติดต่อธนาคาร
- 0-2645-9000
-
โทร. 0-2645-9000
- 08-6665-6239
-
โทร. 08-6665-6239
- 08-5485-4166
-
โทร. 08-5485-4166
-
โทรติดต่อธนาคาร
ใช่ไหม?