ขายทาวน์เฮ้าส์ (หลักศิริ)
ต.คอโค อ.เมืองสุรินทร์ จ.สุรินทร์
฿ 1,205,000
รหัสทรัพย์ 3201102051
3201102051
฿ 1,205,000
ประเภททรัพย์
ทาวน์เฮ้าส์
ลำดับทรัพย์ที่
5172
โครงการ
หลักศิริ
23.7 ตร.ว.
2 ชั้น
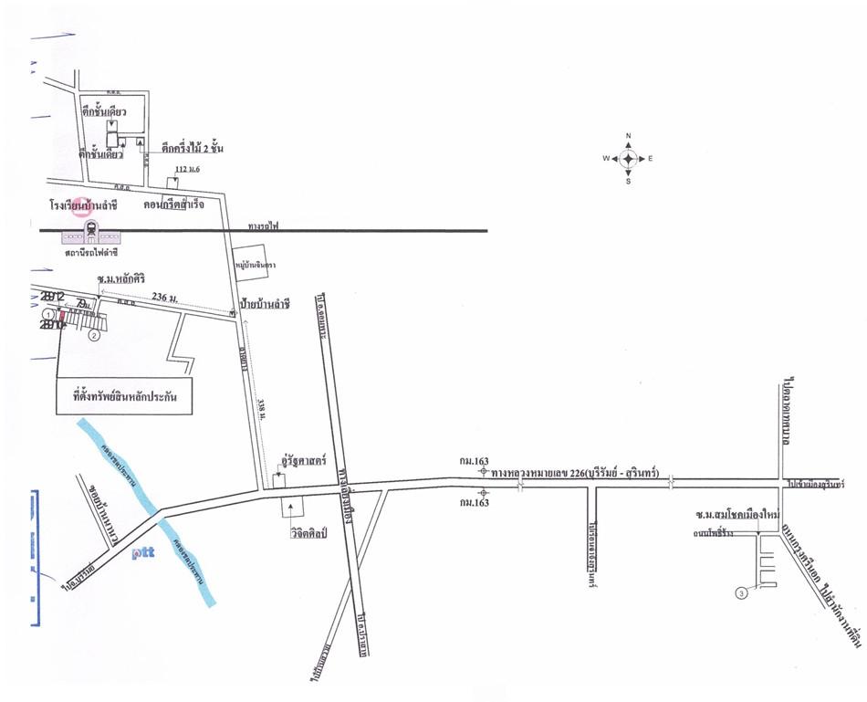
ที่ตั้ง
เลขที่โฉนด/นส 3ก.
195756
เลขที่
289/11
โครงการ
หลักศิริ
ซอย
บ้านลำชี/ซ.ม.หลักศิริ
ถนน
ทางหลวงหมายเลข226
แขวง/ตำบล
คอโค
เขต/อำเภอ
เมืองสุรินทร์
จังหวัด
สุรินทร์
รายละเอียดเพิ่มเติม
ในงาน งานประมูลบ้านมือสองธอส.ครั้งที่ 4/2568
ราคาพิเศษเฉพาะงานประมูลขายบ้านมือสอง ธอส. ประจำปี ครั้งที่ 4/2568 จัดขึ้นในวันเสาร์ที่ 13 ธันวาคม 2568 เริ่มทำการประมูลตั้งแต่เวลา 10.00 - 16.00 น. ณ สาขาที่ตั้งทรัพย์ ประมูลพร้อมกันทั่วประเทศ พิเศษ!!! สามารถใช้ผลิตภัณฑ์สินเชื่อ NPA Special Event ปี 2568 อัตราดอกเบี้ย 0% นาน 2 ปี * เงื่อนไขเป็นไปตามที่ธนาคารกำหนด
- ณ ฝ่ายพิธีการสินเชื่อ อาคาร 2 ชั้น 1 ธนาคารอาคารสงเคราะห์ สำนักงานใหญ่ และสาขาที่ทำการภูมิภาค
- 13 ธ.ค. 2568 วันเดียวเท่านั้น
- 08:00-16:00 น.
ข้อมูลติดต่อ
ธนาคารอาคารสงเคราะห์
- ฝ่ายบริหารหนี้ภูมิภาค ติดต่อ 0-2645-9000 กด 5 วันทำการ เวลา 8.30 น. - 16.30 น. (คุณสันติ สร้อยดอก โทร 08-6665-6239 : 08-5485-4166 สาขาสุรินทร์)
เบอร์ติดต่อธนาคาร
- 0-2645-9000
-
โทร. 0-2645-9000
- 08-6665-6239
-
โทร. 08-6665-6239
- 08-5485-4166
-
โทร. 08-5485-4166
-
โทรติดต่อธนาคาร
ใช่ไหม?