ขายอาคารพาณิชย์
ต.สระแก้ว อ.เมืองสระแก้ว จ.สระแก้ว
฿ 1,310,000
รหัสทรัพย์ 2701102051
2701102051
฿ 1,310,000
ประเภททรัพย์
อาคารพาณิชย์
ลำดับทรัพย์ที่
239
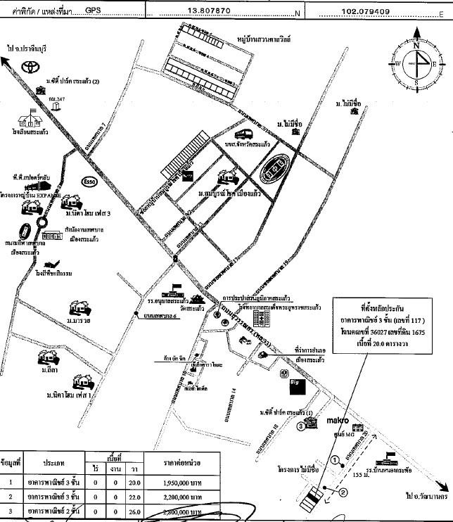
20 ตร.ว.
3 ชั้น
ที่ตั้ง
เลขที่โฉนด/นส 3ก.
36027
เลขที่
117
ซอย
ถนนเทศบาล 20
ถนน
สุวรรณศร (ทล.33)
แขวง/ตำบล
สระแก้ว
เขต/อำเภอ
เมืองสระแก้ว
จังหวัด
สระแก้ว
รายละเอียดเพิ่มเติม
ในงาน โครงการทรัพย์ตรงใจ
โครงการทรัพย์ตรงใจ ราคาโปรโมชั่นนี้สามารถซื้อและทำสัญญาฯ ได้ถึงวันที่ 15 มิ.ย. 69 ซื้อทรัพย์แล้วยื่นกู้ได้เลย โดยใช้สินเชื่อสำหรับซื้อทรัพย์ NPA ของธนาคาร อัตราดอกเบี้ย 0% นาน 12 เดือน *เงื่อนไขเป็นไปตามที่ธนาคารกำหนด
- ฝ่ายบริหาร NPA อาคาร 2 ชั้น 2 ธอส.สำนักงานใหญ่ สำหรับทรัพย์ส่วนภูมิภาค ติดต่อได้ ณ สาขาที่ตั้งทรัพย์
- วันนี้เป็นต้นไป
- 08:30-16:30 น.
ข้อมูลติดต่อ
ธนาคารอาคารสงเคราะห์
- ฝ่ายบริหารหนี้ภูมิภาค ติดต่อ 0-2645-9000 กด 5 วันทำการ เวลา 8.30 น. - 16.30 น. (คุณสันติ บุญลือ โทร 0-2645-9000 : 08-5485-4157 สาขาจันทบุรี)
เบอร์ติดต่อธนาคาร
- 0-2645-9000
-
โทร. 0-2645-9000
- 08-5485-4157
-
โทร. 08-5485-4157
-
โทรติดต่อธนาคาร
ใช่ไหม?