ขายบ้านเดี่ยว (ไม่มี)
ต.วังเย็น อ.แปลงยาว จ.ฉะเชิงเทรา
฿ 2,495,000
รหัสทรัพย์ 2409105451
2409105451
฿ 2,495,000
ประเภททรัพย์
บ้านเดี่ยว
โครงการ
ไม่มี
100 ตร.ว.
1 ชั้น
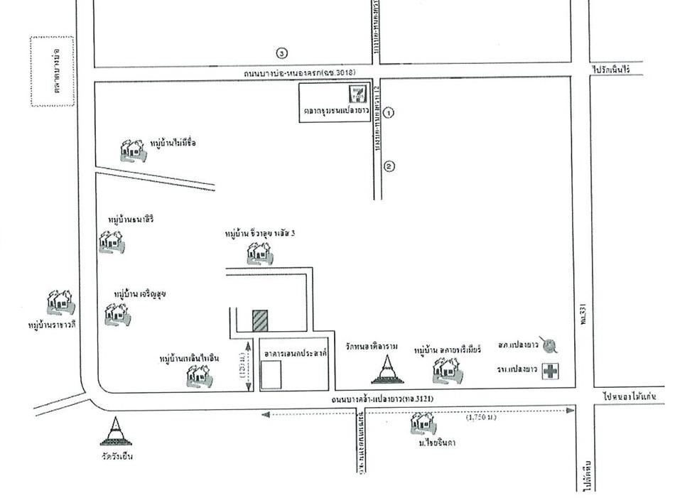
ที่ตั้ง
เลขที่โฉนด/นส 3ก.
19191
เลขที่
75/1
โครงการ
ไม่มี
ซอย
ไม่มีชื่อ
ถนน
บางคล้า-แปลงยาว
แขวง/ตำบล
วังเย็น
เขต/อำเภอ
แปลงยาว
จังหวัด
ฉะเชิงเทรา
รายละเอียดเพิ่มเติม
ในงาน งานประมูลขายบ้านมือสอง ธอส. ประจำปี 2569 ครั้งที่ 1
ราคาพิเศษเฉพาะงานประมูลบ้านมือสองธอส. ประจำปี 2569 ครั้งที่ 1 จัดขึ้นในวันเสาร์ที่ 14 มีนาคม 2569 ลงชื่อเข้าร่วมประมูลได้ตั้งแต่เวลา 8.00 น. เป็นต้นไปและเริ่มทำการประมูลตั้งแต่เวลา 10.00 - 16.00 น. ณ ที่ทำการสาขาภูมิภาค (ประมูลพร้อมกันทั่วประเทศ) พิเศษ!!! สามารถใช้ผลิตภัณฑ์สินเชื่อ NPA Special Event ปี 2568 อัตราดอกเบี้ย 0% นาน 2 ปี * เงื่อนไขเป็นไปตามที่ธนาคารกำหนด
- ณ ห้องพิมานมาศ อาคารจอดรถ ชั้น 11 ธอส. สำนักงานใหญ่ สำหรับทรัพย์ภูมิภาค ประมูล ณ สาขาที่ตั้งทรัพย์
- 14 มี.ค. 2569 วันเดียวเท่านั้น
- 10:00-16:00 น.
ข้อมูลติดต่อ
ธนาคารอาคารสงเคราะห์
- ฝ่ายบริหารหนี้ภูมิภาค ติดต่อ 0-2645-9000 กด 5 วันทำการ เวลา 8.30 น. - 16.30 น. (คุณสุทัศน์ ม่วงทอง โทร 038-552-973-6 ต่อ 207-208 : 08-5839-6562 : 08-5485-4180 สาขาพนมสารคาม)
เบอร์ติดต่อธนาคาร
- 0-2645-9000
-
โทร. 0-2645-9000
- 08-5839-6562
-
โทร. 08-5839-6562
-
โทรติดต่อธนาคาร
ใช่ไหม?