ค้นหาบ้านมือสองธอส.
ลองเปลี่ยนมาใช้ผ่านแอปดูสิ ใช้ง่าย รวดเร็ว โหลดเลย!
รายการถูกใจล่าสุด
แสดง: 0 รายการ

ขายบ้านเดี่ยว

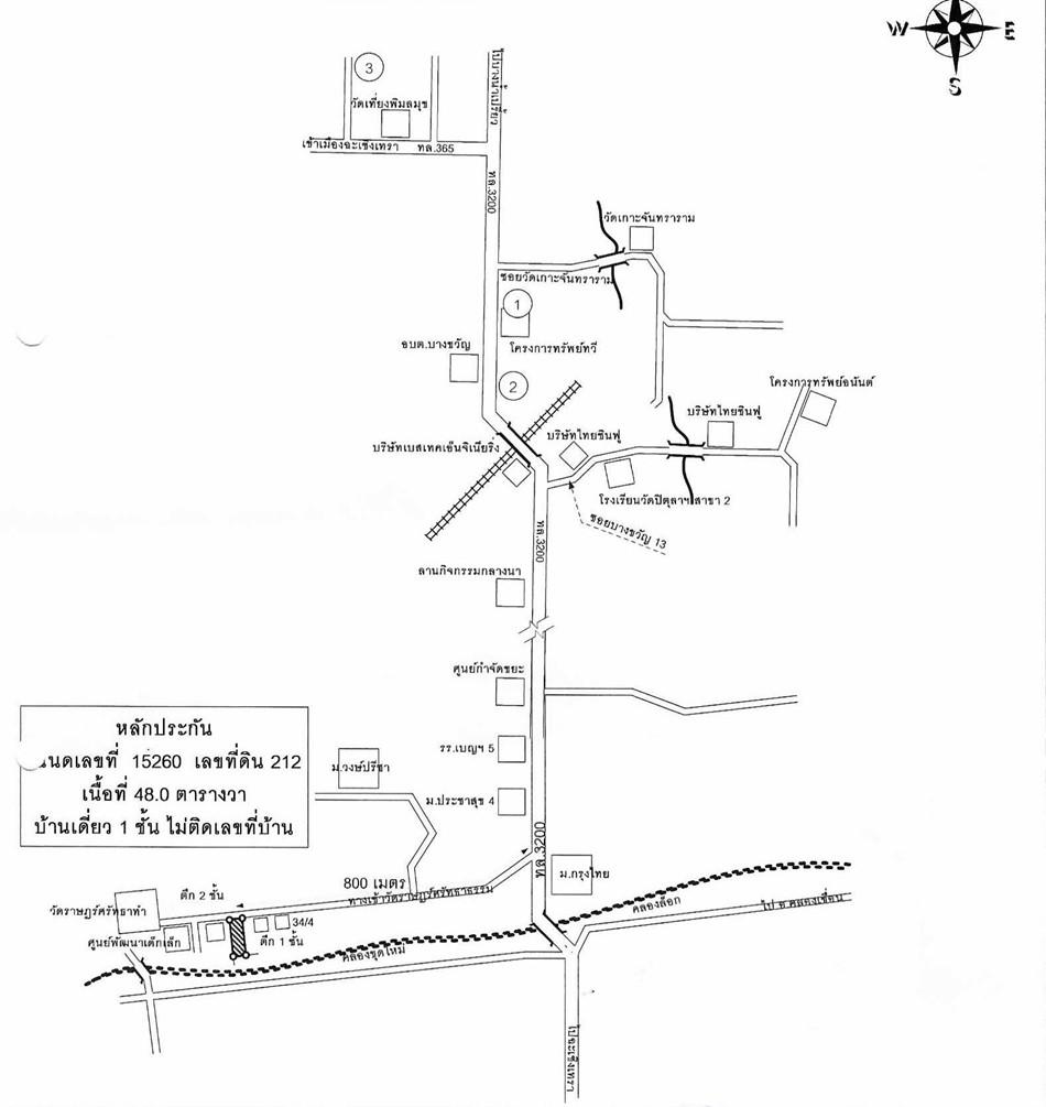
ต.บางขวัญ อ.เมืองฉะเชิงเทรา จ.ฉะเชิงเทรา

ราคาติดต่อธนาคาร

รหัสทรัพย์ 2401108311
2401108311
ราคาติดต่อธนาคาร
ประเภททรัพย์
บ้านเดี่ยว
48 ตร.ว.
1 ชั้น

ที่ตั้ง

เลขที่โฉนด/นส 3ก.
15260
เลขที่
12/2
ซอย
วัดราษฎร์ศรัทธาธรรม
ถนน
ทล.3200
แขวง/ตำบล
บางขวัญ
เขต/อำเภอ
เมืองฉะเชิงเทรา
จังหวัด
ฉะเชิงเทรา

รายละเอียดเพิ่มเติม

ซื้อทรัพย์แล้วยื่นกู้ได้เลย โดยใช้สินเชื่อสำหรับซื้อทรัพย์ NPA ของธนาคาร อัตราดอกเบี้ย 0% นาน 18 เดือน *เงื่อนไขเป็นไปตามที่ธนาคารกำหนด

ทำเลที่ตั้ง

คลิ๊กดูรูปภาพแผนที่

ข้อมูลติดต่อ

ธนาคารอาคารสงเคราะห์
  • ฝ่ายบริหารหนี้ภูมิภาค ติดต่อ 0-2645-9000 กด 5 วันทำการ เวลา 8.30 น. - 16.30 น. (คุณอัคนี ฮังกาสี : คุณชาวิณี ปานดำ โทร 08-5485-4178 : 08-0057-6609 สาขาฉะเชิงเทรา)
เบอร์ติดต่อธนาคาร
  • 0-2645-9000
  • โทร. 0-2645-9000
  • 08-5485-4178
  • โทร. 08-5485-4178
  • 08-0057-6609
  • โทร. 08-0057-6609
  • ติดต่อธนาคาร