ค้นหาบ้านมือสองธอส.
ลองเปลี่ยนมาใช้ผ่านแอปดูสิ ใช้ง่าย รวดเร็ว โหลดเลย!
รายการถูกใจล่าสุด
แสดง: 0 รายการ

ขายบ้านเดี่ยว

ต.นิคมพัฒนา อ.นิคมพัฒนา จ.ระยอง

฿ 1,840,000

รหัสทรัพย์ 2108103521
2108103521
฿ 1,840,000
ประเภททรัพย์
บ้านเดี่ยว
56 ตร.ว.
1 ชั้น

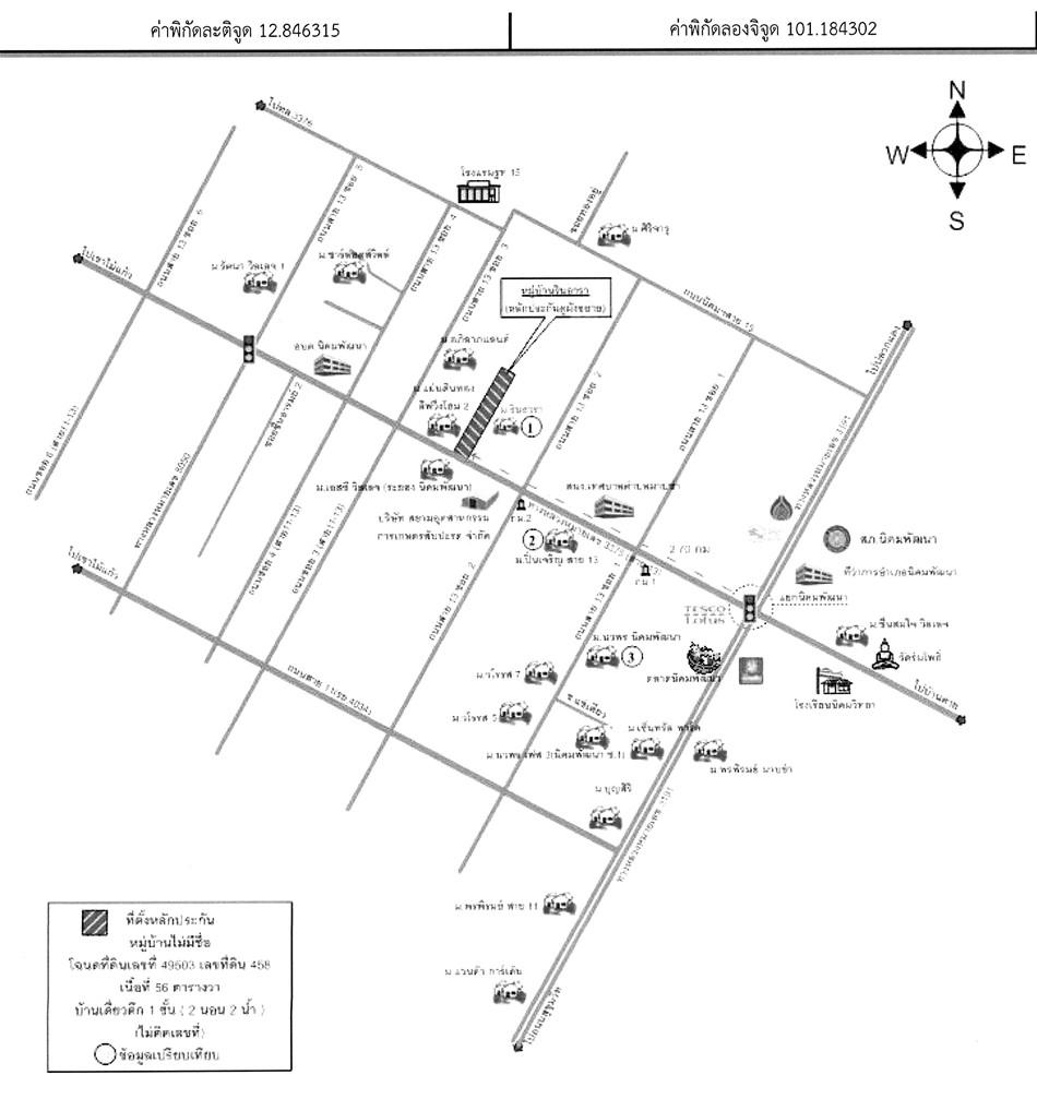
ที่ตั้ง

เลขที่
112/8
ซอย
-
ถนน
สาย 13(ทล.3375)
แขวง/ตำบล
นิคมพัฒนา
เขต/อำเภอ
นิคมพัฒนา
จังหวัด
ระยอง

รายละเอียดเพิ่มเติม

ในงาน โครงการทรัพย์ตรงใจ

โครงการทรัพย์ตรงใจ ในส่วนภูมิภาค ราคาโปรโมชั่นนี้สามารถซื้อและทำสัญญาฯได้ถึงวันที่ 18 ก.พ. 69 ซื้อทรัพย์แล้วยื่นกู้ได้เลย โดยใช้สินเชื่อสำหรับซื้อทรัพย์ NPA ของธนาคาร อัตราดอกเบี้ย 0% นาน 18 เดือน * เงื่อนไขเป็นไปตามที่ธนาคารกำหนด

  •   ฝ่ายบริหาร NPA อาคาร 2 ชั้น 2 ธอส.สำนักงานใหญ่ สำหรับทรัพย์ส่วนภูมิภาค ติดต่อได้ ณ สาขาที่ตั้งทรัพย์
  •   วันนี้เป็นต้นไป
  •   08:30-16:30 น.

ทำเลที่ตั้ง

คลิ๊กดูรูปภาพแผนที่

ข้อมูลติดต่อ

ธนาคารอาคารสงเคราะห์
  • ฝ่ายบริหารหนี้ภูมิภาค ติดต่อ 0-2645-9000 กด 5 วันทำการ เวลา 8.30 น. - 16.30 น. (คุณณัฎฐพงศ์ จิตโส โทร 06-3217-5910 สาขานิคมพัฒนา)
เบอร์ติดต่อธนาคาร
  • 0-2645-9000
  • โทร. 0-2645-9000
  • 06-3217-5910
  • โทร. 06-3217-5910
  • ติดต่อธนาคาร