ค้นหาบ้านมือสองธอส.
ลองเปลี่ยนมาใช้ผ่านแอปดูสิ ใช้ง่าย รวดเร็ว โหลดเลย!
รายการถูกใจล่าสุด
แสดง: 0 รายการ

ขายบ้านเดี่ยว

ต.มาบข่า อ.นิคมพัฒนา จ.ระยอง

฿ 1,675,000

รหัสทรัพย์ 2108103311
2108103311
฿ 1,675,000
ประเภททรัพย์
บ้านเดี่ยว
100 ตร.ว.
1 ชั้น

ที่ตั้ง

เลขที่โฉนด/นส 3ก.
48458
เลขที่
35/8 ม.8
ซอย
บ้านนางเย้ย
ถนน
รย.4034 (สาย11)
แขวง/ตำบล
มาบข่า
เขต/อำเภอ
นิคมพัฒนา
จังหวัด
ระยอง

รายละเอียดเพิ่มเติม

ซื้อทรัพย์แล้วยื่นกู้ได้เลย โดยใช้สินเชื่อสำหรับซื้อทรัพย์ NPA ของธนาคาร อัตราดอกเบี้ย 0% นาน 12 เดือน *เงื่อนไขเป็นไปตามที่ธนาคารกำหนด

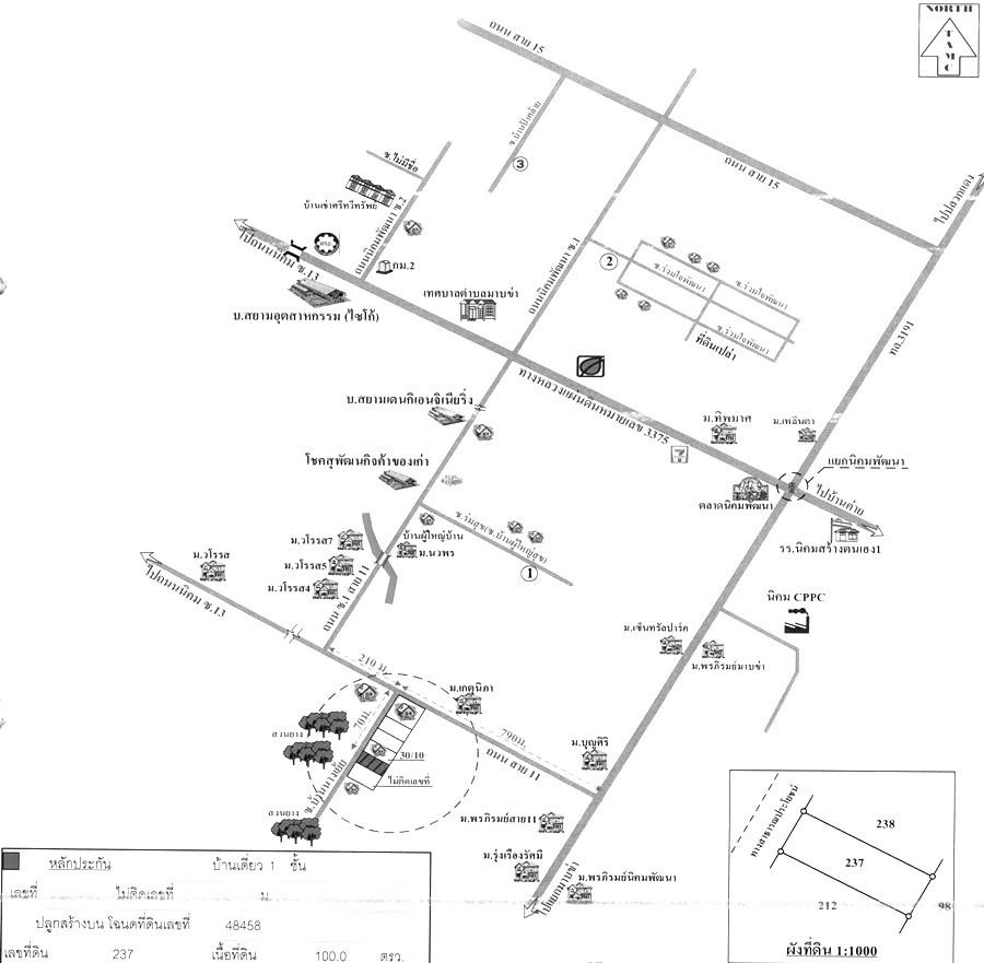
ทำเลที่ตั้ง

คลิ๊กดูรูปภาพแผนที่

ข้อมูลติดต่อ

ธนาคารอาคารสงเคราะห์
  • ฝ่ายบริหารหนี้ภูมิภาค ติดต่อ 0-2645-9000 กด 5 วันทำการ เวลา 8.30 น. - 16.30 น. (คุณนนทวัฒน์ ภุมมาพันธุ์ โทร 0-2645-9000 : 09-5375-8631 สาขาระยอง)
เบอร์ติดต่อธนาคาร
  • 0-2645-9000
  • โทร. 0-2645-9000
  • 09-5375-8631
  • โทร. 09-5375-8631
  • ติดต่อธนาคาร