ขายทาวน์เฮ้าส์ (เซนสิริทาวน์)
ราคาทรัพย์ 1,250,000 บาท
- เลขที่โฉนด/นส3.ก : -
- รหัสทรัพย์: 2108102721
- ประเภททรัพย์: ทาวน์เฮ้าส์
- โครงการ/หมู่บ้าน: เซนสิริทาวน์
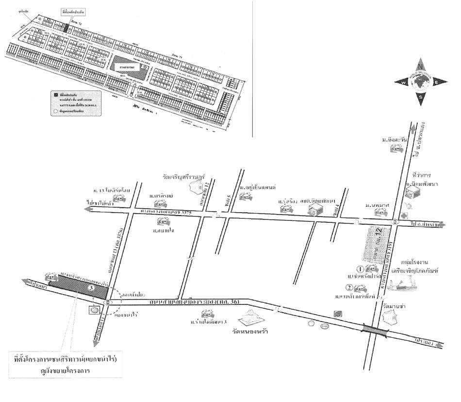
- ต.มะขามคู่ อ.นิคมพัฒนา จ.ระยอง
- 24.3 ตร.ว.
- 1 ชั้น
รายละเอียดทรัพย์
- ประเภททรัพย์ ทาวน์เฮ้าส์
- เนื้อที่ 24.3 ตร.ว.
- จำนวนชั้น 1 ชั้น
- ซอย ม.เซนสิริทาวน์
- ตำบล/แขวง มะขามคู่
- จังหวัด ระยอง
- โครงการ/หมู่บ้าน เซนสิริทาวน์
- พื้นที่ใช้สอย -
- ที่ตั้งทรัพย์ 125/150
- ถนน สาย13(ทล.3376)
- อำเภอ/เขต นิคมพัฒนา
รายละเอียดเพิ่มเติม
ซื้อทรัพย์แล้วยื่นกู้ได้เลย โดยใช้สินเชื่อสำหรับซื้อทรัพย์ NPA ของธนาคาร อัตราดอกเบี้ย 0% นาน 18 เดือน * เงื่อนไขเป็นไปตามที่ธนาคารกำหนด
ถ้าจะซื้อทรัพย์นี้ จะต้องผ่อนเดือนละเท่าไหร่
คำนวณเงินดาวน์และสินเชื่อ
ราคาทรัพย์ 1,250,000 บาท
| เงินจอง | บาท | |
| เงินประกันการเข้าอยู่ 1.5% | บาท | |
| เงินดาวน์ |
|
|
| จำนวนเงินดาวน์ | บาท | |
| เงินดาวน์งวดที่1* | บาท | |
เงินดาวน์งวดที่2 * |
บาท | |
|
|
||
| ชำระวันทำสัญญา | เงินจอง + เงินประกันการเข้าอยู่ 1.5% + เงินดาวน์งวดที่ 1 | บาท |
|
|
||
| จำนวนเงินขอสินเชื่อ | บาท | |
| ผ่อนชำระ | ปี | |
| อัตราดอกเบี้ย | ปี | |
| จำนวนเงินผ่อนชำระ* | บาท/เดือน | |
หมายเหตุ
- ยอดการผ่อนชำระเป็นเพียงการประมาณการในเบื้องต้น ส่วนการอนุมัติสินเชื่อสงวนสิทธิ์ เป็นไปตามหลักเกณฑ์ของธนาคารและคุณสมบัติของผู้กู้ และอัตราดอกเบี้ยอ้างอิงจากดอกเบี้ยเงินกู้ร้อยละ 6.245
- เงินดาวน์ 10%125,000 บาท
- ผ่อนดาวน์ (ต่องวด) 10,400 บาท
- ยอดจัดสินเชื่อ 1,125,000 บาท
- อัตราผ่อนชำระ (ต่อเดือน) 7,000 บาท
หมายเหตุ
- ยอดการผ่อนชำระเป็นเพียงการประมาณการในเบื้องต้น ส่วนการอนุมัติสินเชื่อสงวนสิทธิ์ เป็นไปตามหลักเกณฑ์ของธนาคารและคุณสมบัติของผู้กู้ และอัตราดอกเบี้ยอ้างอิงจากดอกเบี้ยเงินกู้ร้อยละ 6.245
ข้อมูลติดต่อ
ธนาคารอาคารสงเคราะห์
- ฝ่ายบริหารหนี้ภูมิภาค ติดต่อ 0-2645-9000 กด 5 วันทำการ เวลา 8.30 น. - 16.30 น. (คุณวิวัฒน์ ปั้นน่วม โทร 08-5485-4190 สาขาบ้านฉาง)
เบอร์ติดต่อธนาคาร
- 0-2645-9000
-
โทร. 0-2645-9000
- 08-5485-4190
-
โทร. 08-5485-4190
-
โทรติดต่อธนาคาร
ใช่ไหม?