ค้นหาบ้านมือสองธอส.
ลองเปลี่ยนมาใช้ผ่านแอปดูสิ ใช้ง่าย รวดเร็ว โหลดเลย!
รายการถูกใจล่าสุด
แสดง: 0 รายการ

฿ 1,650,000

รหัสทรัพย์ 2106110581
2106110581
฿ 1,650,000
ประเภททรัพย์
ทาวน์เฮ้าส์
โครงการ
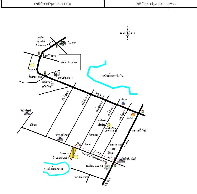
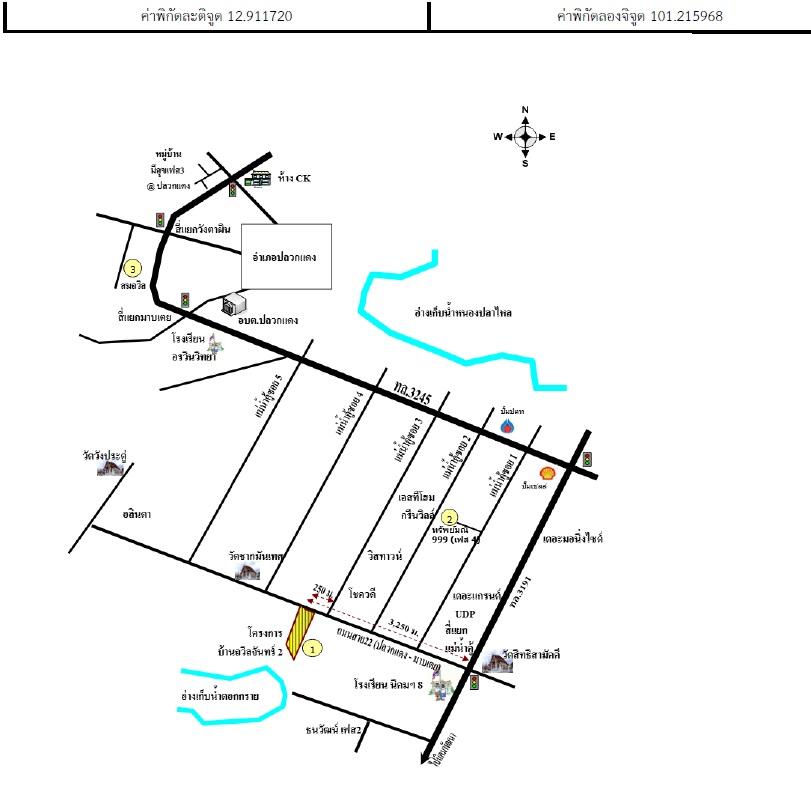
ถวิลจันทร์ 2 (จ.ระยอง)
27.6 ตร.ว.
1 ชั้น

ที่ตั้ง

เลขที่โฉนด/นส 3ก.
56702
เลขที่
559/144
โครงการ
ถวิลจันทร์ 2 (จ.ระยอง)
ซอย
-
ถนน
-
แขวง/ตำบล
แม่น้ำคู้
เขต/อำเภอ
ปลวกแดง
จังหวัด
ระยอง

รายละเอียดเพิ่มเติม

ซื้อทรัพย์แล้วยื่นกู้ได้เลย โดยใช้สินเชื่อสำหรับซื้อทรัพย์ NPA ของธนาคาร อัตราดอกเบี้ย 0% นาน 12 เดือน *เงื่อนไขเป็นไปตามที่ธนาคารกำหนด

ทำเลที่ตั้ง

คลิ๊กดูรูปภาพแผนที่

ข้อมูลติดต่อ

ธนาคารอาคารสงเคราะห์
  • ฝ่ายบริหารหนี้ภูมิภาค ติดต่อ 0-2645-9000 กด 5 วันทำการ เวลา 8.30 น. - 16.30 น. (คุณณัฎฐพงศ์ จิตโส โทร 0-2645-9000 : 06-3217-5910 สาขานิคมพัฒนา)
เบอร์ติดต่อธนาคาร
  • 0-2645-9000
  • โทร. 0-2645-9000
  • 06-3217-5910
  • โทร. 06-3217-5910
  • ติดต่อธนาคาร