ขายทาวน์เฮ้าส์ (แดนใหม่ วิลล่า)
ราคาทรัพย์ 1,300,000 บาท
- เลขที่โฉนด/นส3.ก : -
- รหัสทรัพย์: 2101121711
- ประเภททรัพย์: ทาวน์เฮ้าส์
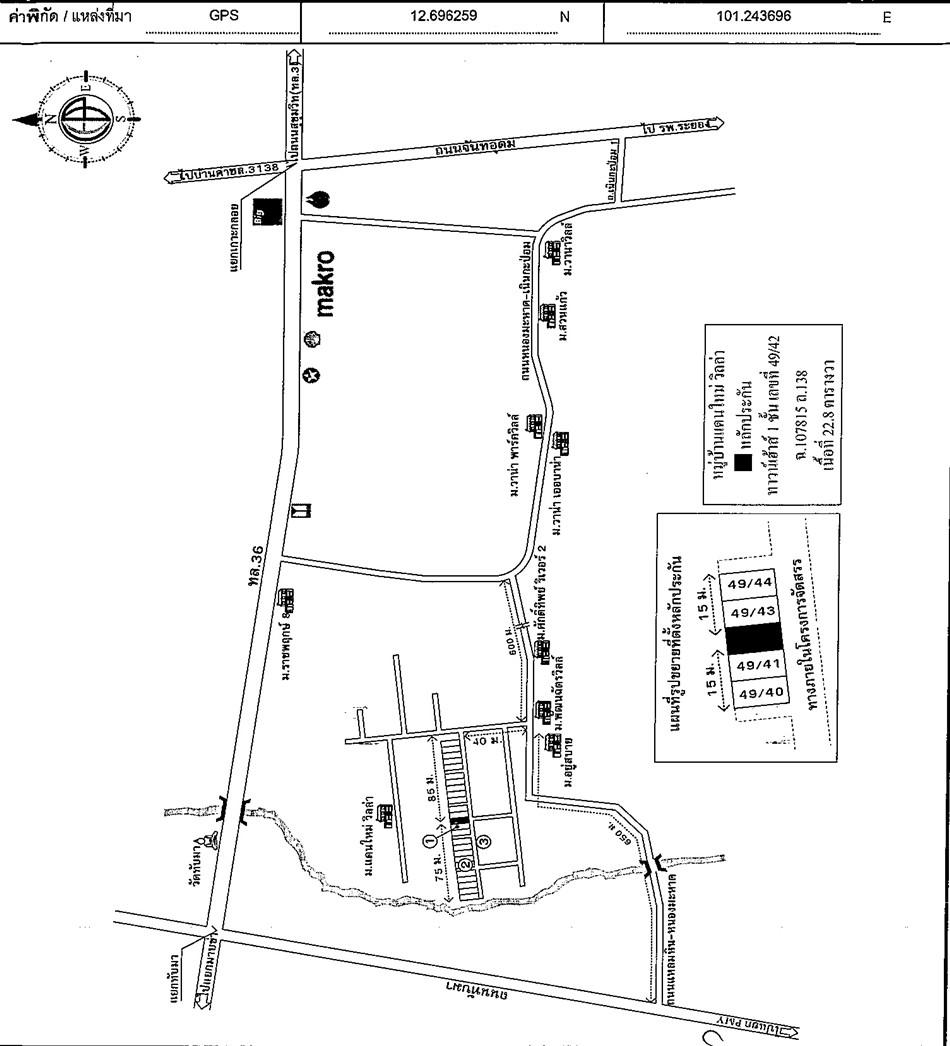
- โครงการ/หมู่บ้าน: แดนใหม่ วิลล่า
- ต.ทับมา อ.เมืองระยอง จ.ระยอง
- 22.8 ตร.ว.
- 1 ชั้น
รายละเอียดทรัพย์
- ประเภททรัพย์ ทาวน์เฮ้าส์
- เนื้อที่ 22.8 ตร.ว.
- จำนวนชั้น 1 ชั้น
- ซอย ม.แดนใหม่ วิลล่า
- ตำบล/แขวง ทับมา
- จังหวัด ระยอง
- โครงการ/หมู่บ้าน แดนใหม่ วิลล่า
- พื้นที่ใช้สอย -
- ที่ตั้งทรัพย์ -
- ถนน แหลมหิน-หนองมะหาด
- อำเภอ/เขต เมืองระยอง
รายละเอียดเพิ่มเติม
ซื้อทรัพย์แล้วยื่นกู้ได้เลย โดยใช้สินเชื่อสำหรับซื้อทรัพย์ NPA ของธนาคาร อัตราดอกเบี้ย 0% นาน 12 เดือน * เงื่อนไขเป็นไปตามที่ธนาคารกำหนด
ถ้าจะซื้อทรัพย์นี้ จะต้องผ่อนเดือนละเท่าไหร่
คำนวณเงินดาวน์และสินเชื่อ
ราคาทรัพย์ 1,300,000 บาท
| เงินจอง | บาท | |
| เงินประกันการเข้าอยู่ 1.5% | บาท | |
| เงินดาวน์ |
|
|
| จำนวนเงินดาวน์ | บาท | |
| เงินดาวน์งวดที่1* | บาท | |
เงินดาวน์งวดที่2 * |
บาท | |
|
|
||
| ชำระวันทำสัญญา | เงินจอง + เงินประกันการเข้าอยู่ 1.5% + เงินดาวน์งวดที่ 1 | บาท |
|
|
||
| จำนวนเงินขอสินเชื่อ | บาท | |
| ผ่อนชำระ | ปี | |
| อัตราดอกเบี้ย | ปี | |
| จำนวนเงินผ่อนชำระ* | บาท/เดือน | |
หมายเหตุ
- ยอดการผ่อนชำระเป็นเพียงการประมาณการในเบื้องต้น ส่วนการอนุมัติสินเชื่อสงวนสิทธิ์ เป็นไปตามหลักเกณฑ์ของธนาคารและคุณสมบัติของผู้กู้ และอัตราดอกเบี้ยอ้างอิงจากดอกเบี้ยเงินกู้ร้อยละ 6.245
- เงินดาวน์ 10%130,000 บาท
- ผ่อนดาวน์ (ต่องวด) 10,800 บาท
- ยอดจัดสินเชื่อ 1,170,000 บาท
- อัตราผ่อนชำระ (ต่อเดือน) 7,300 บาท
หมายเหตุ
- ยอดการผ่อนชำระเป็นเพียงการประมาณการในเบื้องต้น ส่วนการอนุมัติสินเชื่อสงวนสิทธิ์ เป็นไปตามหลักเกณฑ์ของธนาคารและคุณสมบัติของผู้กู้ และอัตราดอกเบี้ยอ้างอิงจากดอกเบี้ยเงินกู้ร้อยละ 6.245
ข้อมูลติดต่อ
ธนาคารอาคารสงเคราะห์
- ฝ่ายบริหารหนี้ภูมิภาค ติดต่อ 0-2645-9000 กด 5 วันทำการ เวลา 8.30 น. - 16.30 น. (คุณนนทวัฒน์ ภุมมาพันธุ์ โทร 09-5375-8631 สาขาระยอง)
เบอร์ติดต่อธนาคาร
- 0-2645-9000
-
โทร. 0-2645-9000
- 09-5375-8631
-
โทร. 09-5375-8631
-
โทรติดต่อธนาคาร
ใช่ไหม?