ขายบ้านแฝด (จันทนาธานี)
ราคาทรัพย์ 2,050,000 บาท
- เลขที่โฉนด/นส3.ก : -
- รหัสทรัพย์: 2007106591
- ประเภททรัพย์: บ้านแฝด
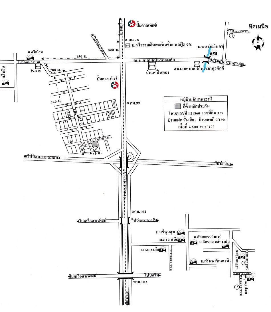
- โครงการ/หมู่บ้าน: จันทนาธานี
- ต.หนองขาม อ.ศรีราชา จ.ชลบุรี
- 63 ตร.ว.
- 1 ชั้น
รายละเอียดทรัพย์
- ประเภททรัพย์ บ้านแฝด
- เนื้อที่ 63 ตร.ว.
- จำนวนชั้น 1 ชั้น
- ซอย -
- ตำบล/แขวง หนองขาม
- จังหวัด ชลบุรี
- โครงการ/หมู่บ้าน จันทนาธานี
- พื้นที่ใช้สอย -
- ที่ตั้งทรัพย์ 9/190
- ถนน -
- อำเภอ/เขต ศรีราชา
รายละเอียดเพิ่มเติม
ซื้อทรัพย์แล้วยื่นกู้ได้เลย โดยใช้สินเชื่อสำหรับซื้อทรัพย์ NPA ของธนาคาร อัตราดอกเบี้ย 0% นาน 24 เดือน * เงื่อนไขเป็นไปตามที่ธนาคารกำหนด
ถ้าจะซื้อทรัพย์นี้ จะต้องผ่อนเดือนละเท่าไหร่
คำนวณเงินดาวน์และสินเชื่อ
ราคาทรัพย์ 2,050,000 บาท
เงินจอง | บาท | |
เงินประกันการเข้าอยู่ 1.5% | บาท | |
เงินดาวน์ |
|
|
จำนวนเงินดาวน์ | บาท | |
เงินดาวน์งวดที่1* | บาท | |
เงินดาวน์งวดที่2 * |
บาท | |
|
||
ชำระวันทำสัญญา | เงินจอง + เงินประกันการเข้าอยู่ 1.5% + เงินดาวน์งวดที่ 1 | บาท |
|
||
จำนวนเงินขอสินเชื่อ | บาท | |
ผ่อนชำระ | ปี | |
อัตราดอกเบี้ย | ปี | |
จำนวนเงินผ่อนชำระ* | บาท/เดือน |
หมายเหตุ
- ยอดการผ่อนชำระเป็นเพียงการประมาณการในเบื้องต้น ส่วนการอนุมัติสินเชื่อสงวนสิทธิ์ เป็นไปตามหลักเกณฑ์ของธนาคารและคุณสมบัติของผู้กู้ และอัตราดอกเบี้ยอ้างอิงจากดอกเบี้ยเงินกู้ร้อยละ 6.245
- เงินดาวน์ 10%205,000 บาท
- ผ่อนดาวน์ (ต่องวด) 17,000 บาท
- ยอดจัดสินเชื่อ 1,845,000 บาท
- อัตราผ่อนชำระ (ต่อเดือน) 11,400 บาท
หมายเหตุ
- ยอดการผ่อนชำระเป็นเพียงการประมาณการในเบื้องต้น ส่วนการอนุมัติสินเชื่อสงวนสิทธิ์ เป็นไปตามหลักเกณฑ์ของธนาคารและคุณสมบัติของผู้กู้ และอัตราดอกเบี้ยอ้างอิงจากดอกเบี้ยเงินกู้ร้อยละ 6.245
ข้อมูลติดต่อ
ธนาคารอาคารสงเคราะห์
- ฝ่ายบริหารหนี้ภูมิภาค ติดต่อ 0-2645-9000 กด 5 วันทำการ เวลา 8.30 น. - 16.30 น. (คุณทรงวุฒิ ธรรมจารย์ คุณสุชารัตน์ มูลตะกรณ์ โทร 08-5485-4206 : 08-4356-4108 สาขาพัทยา)
เบอร์ติดต่อธนาคาร
- 0-2645-9000
-
โทร. 0-2645-9000
- 08-5485-4206
-
โทร. 08-5485-4206
- 08-4356-4108
-
โทร. 08-4356-4108
-
โทรติดต่อธนาคาร