ค้นหาบ้านมือสองธอส.
ลองเปลี่ยนมาใช้ผ่านแอปดูสิ ใช้ง่าย รวดเร็ว โหลดเลย!
รายการถูกใจล่าสุด
แสดง: 0 รายการ

ขายทาวน์เฮ้าส์ (อีสเทิร์น)

ต.สุรศักดิ์ อ.ศรีราชา จ.ชลบุรี

฿ 1,350,000

รหัสทรัพย์ 2007105261
2007105261
฿ 1,350,000
ประเภททรัพย์
ทาวน์เฮ้าส์
โครงการ
อีสเทิร์น
18.8 ตร.ว.
2 ชั้น

ที่ตั้ง

เลขที่โฉนด/นส 3ก.
142159
เลขที่
210/232
โครงการ
อีสเทิร์น
ซอย
-
ถนน
-
แขวง/ตำบล
สุรศักดิ์
เขต/อำเภอ
ศรีราชา
จังหวัด
ชลบุรี

รายละเอียดเพิ่มเติม

ซื้อทรัพย์แล้วยื่นกู้ได้เลย โดยใช้สินเชื่อสำหรับซื้อทรัพย์ NPA ของธนาคาร อัตราดอกเบี้ย 0% นาน 12 เดือน *เงื่อนไขเป็นไปตามที่ธนาคารกำหนด

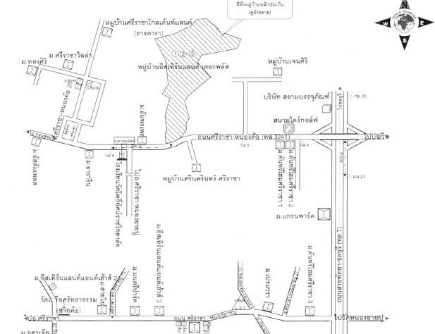
ทำเลที่ตั้ง

คลิ๊กดูรูปภาพแผนที่
Google Map
Street View
Get Direction

ข้อมูลติดต่อ

ธนาคารอาคารสงเคราะห์
  • ฝ่ายบริหารหนี้ภูมิภาค ติดต่อ 0-2645-9000 กด 5 วันทำการ เวลา 8.30 น. - 16.30 น. (คุณคเณศ สาระกูล โทร 09-7254-6716 สาขาศรีราชา)
เบอร์ติดต่อธนาคาร
  • 0-2645-9000
  • โทร. 0-2645-9000
  • 09-7254-6716
  • โทร. 09-7254-6716
  • ติดต่อธนาคาร