ค้นหาบ้านมือสองธอส.
ลองเปลี่ยนมาใช้ผ่านแอปดูสิ ใช้ง่าย รวดเร็ว โหลดเลย!
รายการถูกใจล่าสุด
แสดง: 0 รายการ

ขายทาวน์เฮ้าส์ (สามัคคี)

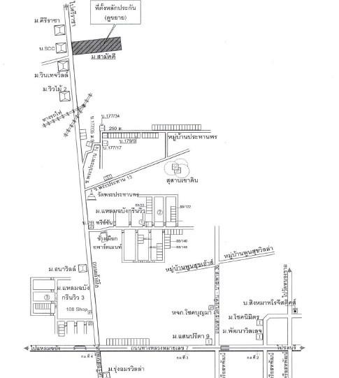
ต.สุรศักดิ์ อ.ศรีราชา จ.ชลบุรี

฿ 700,000

รหัสทรัพย์ 2007105211
2007105211
฿ 700,000
ประเภททรัพย์
ทาวน์เฮ้าส์
โครงการ
สามัคคี
16 ตร.ว.
1 ชั้น

ที่ตั้ง

เลขที่โฉนด/นส 3ก.
67844
เลขที่
192/28
โครงการ
สามัคคี
ซอย
-
ถนน
-
แขวง/ตำบล
สุรศักดิ์
เขต/อำเภอ
ศรีราชา
จังหวัด
ชลบุรี

รายละเอียดเพิ่มเติม

ซื้อทรัพย์แล้วยื่นกู้ได้เลย โดยใช้สินเชื่อสำหรับซื้อทรัพย์ NPA ของธนาคาร อัตราดอกเบี้ย 0% นาน 12 เดือน *เงื่อนไขเป็นไปตามที่ธนาคารกำหนด

ทำเลที่ตั้ง

คลิ๊กดูรูปภาพแผนที่

ข้อมูลติดต่อ

ธนาคารอาคารสงเคราะห์
  • ฝ่ายบริหารหนี้ภูมิภาค ติดต่อ 0-2645-9000 กด 5 วันทำการ เวลา 8.30 น. - 16.30 น. (คุณคเณศ สาระกูล โทร 0-2645-9000 : 09-7254-6716 สาขาศรีราชา)
เบอร์ติดต่อธนาคาร
  • 0-2645-9000
  • โทร. 0-2645-9000
  • 09-7254-6716
  • โทร. 09-7254-6716
  • ติดต่อธนาคาร