ขายคอนโด (ปาร์ค รอยัล 3 เอ)
ต.หนองปรือ อ.บางละมุง จ.ชลบุรี
฿ 3,240,000
รหัสทรัพย์ 2004118891
2004118891
฿ 3,240,000
ประเภททรัพย์
คอนโด
โครงการ
ปาร์ค รอยัล 3 เอ
83.04 ตร.ม.
ชั้นที่ 6 จาก 6 ชั้น
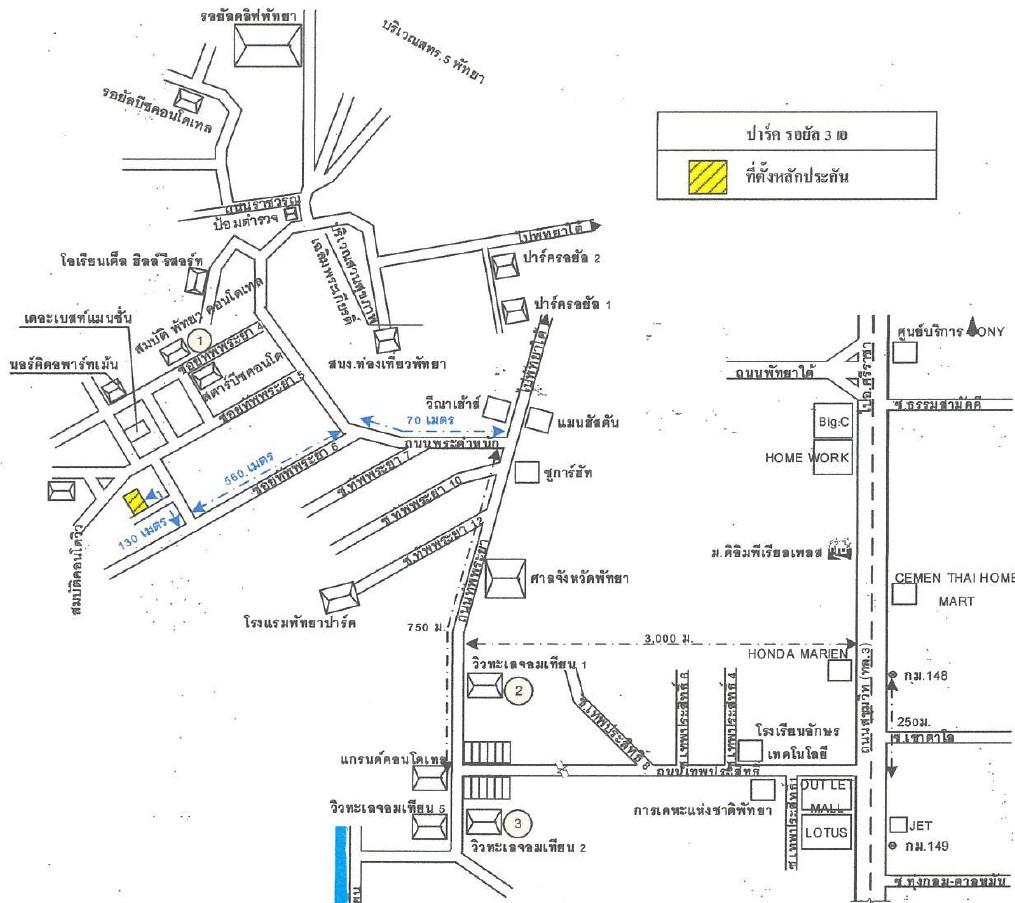
ที่ตั้ง
เลขที่โฉนด/นส 3ก.
5819
เลขที่
519/53
โครงการ
ปาร์ค รอยัล 3 เอ
ซอย
-
ถนน
-
แขวง/ตำบล
หนองปรือ
เขต/อำเภอ
บางละมุง
จังหวัด
ชลบุรี
ข้อมูลติดต่อ
ธนาคารอาคารสงเคราะห์
- ฝ่ายบริหารหนี้ภูมิภาค ติดต่อ 0-2645-9000 กด 5 วันทำการ เวลา 8.30 น. - 16.30 น. (คุณศุภกร บูรณะพิมพ์ : คุณอัคนี ฮังกาสี โทร 0-2645-9000 : 08-4359-4521 : 08-5839-6470 : 08-5485-4178 สาขาชลบุรี)
เบอร์ติดต่อธนาคาร
- 0-2645-9000
-
โทร. 0-2645-9000
- 08-4359-4521
-
โทร. 08-4359-4521
- 08-5839-6470
-
โทร. 08-5839-6470
- 08-5485-4125
-
โทร. 08-5485-4125
-
โทรติดต่อธนาคาร
ใช่ไหม?