ค้นหาบ้านมือสองธอส.
ลองเปลี่ยนมาใช้ผ่านแอปดูสิ ใช้ง่าย รวดเร็ว โหลดเลย!
รายการถูกใจล่าสุด
แสดง: 0 รายการ

ขายทาวน์เฮ้าส์ (เอกมงคล 4/3)

ต.หนองปรือ อ.บางละมุง จ.ชลบุรี

฿ 1,850,000

รหัสทรัพย์ 2004117221
2004117221
฿ 1,850,000
ประเภททรัพย์
ทาวน์เฮ้าส์
โครงการ
เอกมงคล 4/3
23 ตร.ว.
1 ชั้น

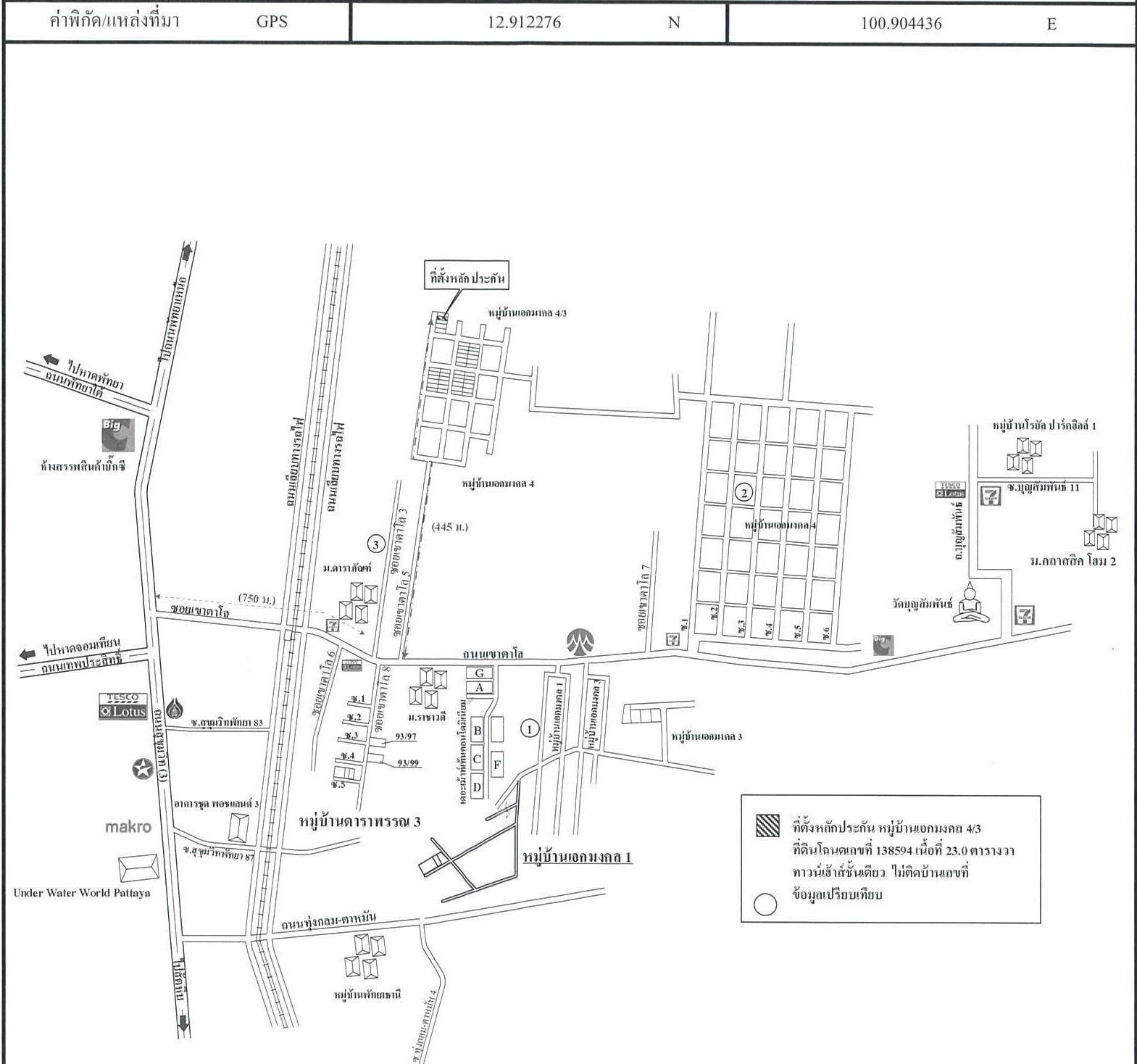
ที่ตั้ง

เลขที่โฉนด/นส 3ก.
138594
เลขที่
100/131
โครงการ
เอกมงคล 4/3
ซอย
ม.เอกมงคล 4/3
ถนน
เขาตาโล
แขวง/ตำบล
หนองปรือ
เขต/อำเภอ
บางละมุง
จังหวัด
ชลบุรี

รายละเอียดเพิ่มเติม

ซื้อทรัพย์แล้วยื่นกู้ได้เลย โดยใช้สินเชื่อสำหรับซื้อทรัพย์ NPA ของธนาคาร อัตราดอกเบี้ย 0% นาน 12 เดือน *เงื่อนไขเป็นไปตามที่ธนาคารกำหนด

ทำเลที่ตั้ง

คลิ๊กดูรูปภาพแผนที่

ข้อมูลติดต่อ

ธนาคารอาคารสงเคราะห์
  • ฝ่ายบริหารหนี้ภูมิภาค ติดต่อ 0-2645-9000 กด 5 วันทำการ เวลา 8.30 น. - 16.30 น. (คุณณิชารีย์ ตันอู่สิน โทร 09-5375-8643 สาขาสัตหีบ)
เบอร์ติดต่อธนาคาร
  • 0-2645-9000
  • โทร. 0-2645-9000
  • 09-5375-8643
  • โทร. 09-5375-8643
  • ติดต่อธนาคาร