ขายบ้านเดี่ยว (ชัยบาดาลพัฒนา)
ราคาทรัพย์ 840,000 บาท
- เลขที่โฉนด/นส3.ก : -
- รหัสทรัพย์: 1604100731
- ลำดับทรัพย์ที่: -
- ประเภททรัพย์: บ้านเดี่ยว
- โครงการ/หมู่บ้าน: ชัยบาดาลพัฒนา
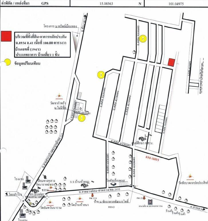
- ต.ชัยบาดาล อ.ชัยบาดาล จ.ลพบุรี
- 100 ตร.ว.
- 1 ชั้น
รายละเอียดทรัพย์
- ประเภททรัพย์ บ้านเดี่ยว
- เนื้อที่ 100 ตร.ว.
- จำนวนชั้น 1 ชั้น
- ซอย ม.ชัยบาดาลพัฒนา
- ตำบล/แขวง ชัยบาดาล
- จังหวัด ลพบุรี
- โครงการ/หมู่บ้าน ชัยบาดาลพัฒนา
- พื้นที่ใช้สอย -
- ที่ตั้งทรัพย์ 194/1
- ถนน สายม่วงค่อม-ท่าหลวง
- อำเภอ/เขต ชัยบาดาล
รายละเอียดเพิ่มเติม
ในงาน งานมหกรรมบ้านธนาคาร 68 จังหวัดเชียงใหม่ (ทรัพย์ภูมิภาค)
ราคาพิเศษเฉพาะมหกรรมบ้านธนาคาร 68 จ.เชียงใหม่ ครั้งที่ 3 จัดขึ้นระหว่างวันที่ 26 - 28 กันยายน 2568 ณ เซ็นทรัล เชียงใหม่ เวลา 10.00 - 20.00 น. พิเศษ 3 ต่อ...ต่อที่ 1 สามารถใช้ผลิตภัณฑ์สินเชื่อ NPA Special Event ปี 2568 อัตราดอกเบี้ย 0% นาน 2 ปี ต่อที่ 2 ทำสัญญาจะซื้อจะขายภายในกำหนดรับบัตรกำนัลแทนเงินสดมูลค่า 1000 บาท ต่อที่ 3 โอนกรรมสิทธิ์ภายใน 25 ธันวาคม 2568 รับบัตรกำนัลแทนเงินสดมูลค่า 1000 บาท * เงื่อนไขเป็นไปตามที่ธนาคารกำหนด
- ณ ศูนย์การค้าเซ็นทรัล เชียงใหม่
- 26 - 28 ก.ย. 2568
- 10:00-20:00 น.
ถ้าจะซื้อทรัพย์นี้ จะต้องผ่อนเดือนละเท่าไหร่
คำนวณเงินดาวน์และสินเชื่อ
ราคาทรัพย์ 840,000 บาท
เงินจอง | บาท | |
เงินประกันการเข้าอยู่ 1.5% | บาท | |
เงินดาวน์ |
|
|
จำนวนเงินดาวน์ | บาท | |
เงินดาวน์งวดที่1* | บาท | |
เงินดาวน์งวดที่2 * |
บาท | |
|
||
ชำระวันทำสัญญา | เงินจอง + เงินประกันการเข้าอยู่ 1.5% + เงินดาวน์งวดที่ 1 | บาท |
|
||
จำนวนเงินขอสินเชื่อ | บาท | |
ผ่อนชำระ | ปี | |
อัตราดอกเบี้ย | ปี | |
จำนวนเงินผ่อนชำระ* | บาท/เดือน |
หมายเหตุ
- ยอดการผ่อนชำระเป็นเพียงการประมาณการในเบื้องต้น ส่วนการอนุมัติสินเชื่อสงวนสิทธิ์ เป็นไปตามหลักเกณฑ์ของธนาคารและคุณสมบัติของผู้กู้ และอัตราดอกเบี้ยอ้างอิงจากดอกเบี้ยเงินกู้ร้อยละ 6.245
- เงินดาวน์ 10%84,000 บาท
- ผ่อนดาวน์ (ต่องวด) 7,000 บาท
- ยอดจัดสินเชื่อ 756,000 บาท
- อัตราผ่อนชำระ (ต่อเดือน) 4,700 บาท
หมายเหตุ
- ยอดการผ่อนชำระเป็นเพียงการประมาณการในเบื้องต้น ส่วนการอนุมัติสินเชื่อสงวนสิทธิ์ เป็นไปตามหลักเกณฑ์ของธนาคารและคุณสมบัติของผู้กู้ และอัตราดอกเบี้ยอ้างอิงจากดอกเบี้ยเงินกู้ร้อยละ 6.245
ข้อมูลติดต่อ
ธนาคารอาคารสงเคราะห์
- ฝ่ายบริหารหนี้ภูมิภาค ติดต่อ 0-2645-9000 กด 5 วันทำการ เวลา 8.30 น. - 16.30 น. (คุณอมรรัตน์ พรหมหา โทร 09-5375-8628 สาขาลพบุรี)
เบอร์ติดต่อธนาคาร
- 0-2645-9000
-
โทร. 0-2645-9000
- 09-5375-8628
-
โทร. 09-5375-8628
-
โทรติดต่อธนาคาร