ค้นหาบ้านมือสองธอส.
ลองเปลี่ยนมาใช้ผ่านแอปดูสิ ใช้ง่าย รวดเร็ว โหลดเลย!
รายการถูกใจล่าสุด
แสดง: 0 รายการ

ขายบ้านเดี่ยว (ชัยบาดาลพัฒนา)

ต.ห้วยหิน อ.ชัยบาดาล จ.ลพบุรี

฿ 1,100,000

รหัสทรัพย์ 1604100691
1604100691
฿ 1,100,000
ประเภททรัพย์
บ้านเดี่ยว
โครงการ
ชัยบาดาลพัฒนา
100 ตร.ว.
1 ชั้น

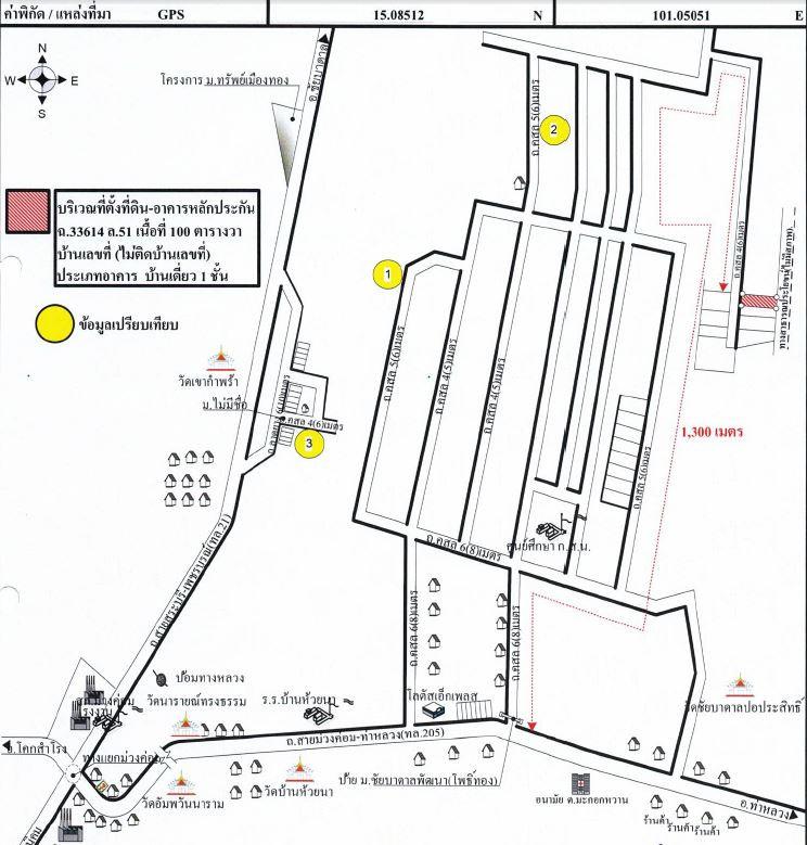
ที่ตั้ง

เลขที่โฉนด/นส 3ก.
33614
เลขที่
222/2
โครงการ
ชัยบาดาลพัฒนา
ซอย
ม.ชัยบาดาลพัฒนา
ถนน
สายม่วงค่อม-ท่าหลวง(
แขวง/ตำบล
ห้วยหิน
เขต/อำเภอ
ชัยบาดาล
จังหวัด
ลพบุรี

รายละเอียดเพิ่มเติม

ซื้อทรัพย์แล้วยื่นกู้ได้เลย โดยใช้สินเชื่อสำหรับซื้อทรัพย์ NPA ของธนาคาร อัตราดอกเบี้ย 0% นาน 12 เดือน *เงื่อนไขเป็นไปตามที่ธนาคารกำหนด

ทำเลที่ตั้ง

คลิ๊กดูรูปภาพแผนที่

ข้อมูลติดต่อ

ธนาคารอาคารสงเคราะห์
  • ฝ่ายบริหารหนี้ภูมิภาค ติดต่อ 0-2645-9000 กด 5 วันทำการ เวลา 8.30 น. - 16.30 น. (คุณอมรรัตน์ พรหมหา โทร 0-2645-9000 : 09-5375-8628 สาขาลพบุรี)
เบอร์ติดต่อธนาคาร
  • 0-2645-9000
  • โทร. 0-2645-9000
  • 09-5375-8628
  • โทร. 09-5375-8628
  • ติดต่อธนาคาร