ค้นหาบ้านมือสองธอส.
ลองเปลี่ยนมาใช้ผ่านแอปดูสิ ใช้ง่าย รวดเร็ว โหลดเลย!

ขายบ้านเดี่ยว

ราคาทรัพย์ 1,760,000 บาท

  • เลขที่โฉนด/นส3.ก : -
  • รหัสทรัพย์: 1502100101
  • ประเภททรัพย์: บ้านเดี่ยว
  • โครงการ/หมู่บ้าน: -
  • ต.ชัยฤทธิ์ อ.ไชโย จ.อ่างทอง
  • 392 ตร.ว.
  • 2 ชั้น

รายละเอียดทรัพย์

  • ประเภททรัพย์ บ้านเดี่ยว
  • เนื้อที่ 392 ตร.ว.
  • จำนวนชั้น 2 ชั้น
  • ซอย ไม่มีชื่อ
  • ตำบล/แขวง ชัยฤทธิ์
  • จังหวัด อ่างทอง
  • โครงการ/หมู่บ้าน -
  • พื้นที่ใช้สอย
    -
  • ที่ตั้งทรัพย์ 70
  • ถนน บ้านดอนงิ้ว-บ้านบาง
  • อำเภอ/เขต ไชโย
  •  

ถ้าจะซื้อทรัพย์นี้ จะต้องผ่อนเดือนละเท่าไหร่

ราคาทรัพย์ 1,760,000 บาท

เงินจอง บาท
เงินประกันการเข้าอยู่ 1.5% บาท
เงินดาวน์
จำนวนเงินดาวน์ บาท
เงินดาวน์งวดที่1* บาท
เงินดาวน์งวดที่2
*
บาท

ชำระวันทำสัญญา เงินจอง + เงินประกันการเข้าอยู่ 1.5% + เงินดาวน์งวดที่ 1 บาท

จำนวนเงินขอสินเชื่อ บาท
ผ่อนชำระ ปี
อัตราดอกเบี้ย ปี
จำนวนเงินผ่อนชำระ* บาท/เดือน

หมายเหตุ
  • ยอดการผ่อนชำระเป็นเพียงการประมาณการในเบื้องต้น ส่วนการอนุมัติสินเชื่อสงวนสิทธิ์ เป็นไปตามหลักเกณฑ์ของธนาคารและคุณสมบัติของผู้กู้ และอัตราดอกเบี้ยอ้างอิงจากดอกเบี้ยเงินกู้ร้อยละ 6.245
  • เงินดาวน์ 10%
    176,000 บาท
  • ผ่อนดาวน์ (ต่องวด)
    14,600 บาท

  • ยอดจัดสินเชื่อ
    1,584,000 บาท
  • อัตราผ่อนชำระ (ต่อเดือน)
    9,800 บาท
หมายเหตุ
  • ยอดการผ่อนชำระเป็นเพียงการประมาณการในเบื้องต้น ส่วนการอนุมัติสินเชื่อสงวนสิทธิ์ เป็นไปตามหลักเกณฑ์ของธนาคารและคุณสมบัติของผู้กู้ และอัตราดอกเบี้ยอ้างอิงจากดอกเบี้ยเงินกู้ร้อยละ 6.245

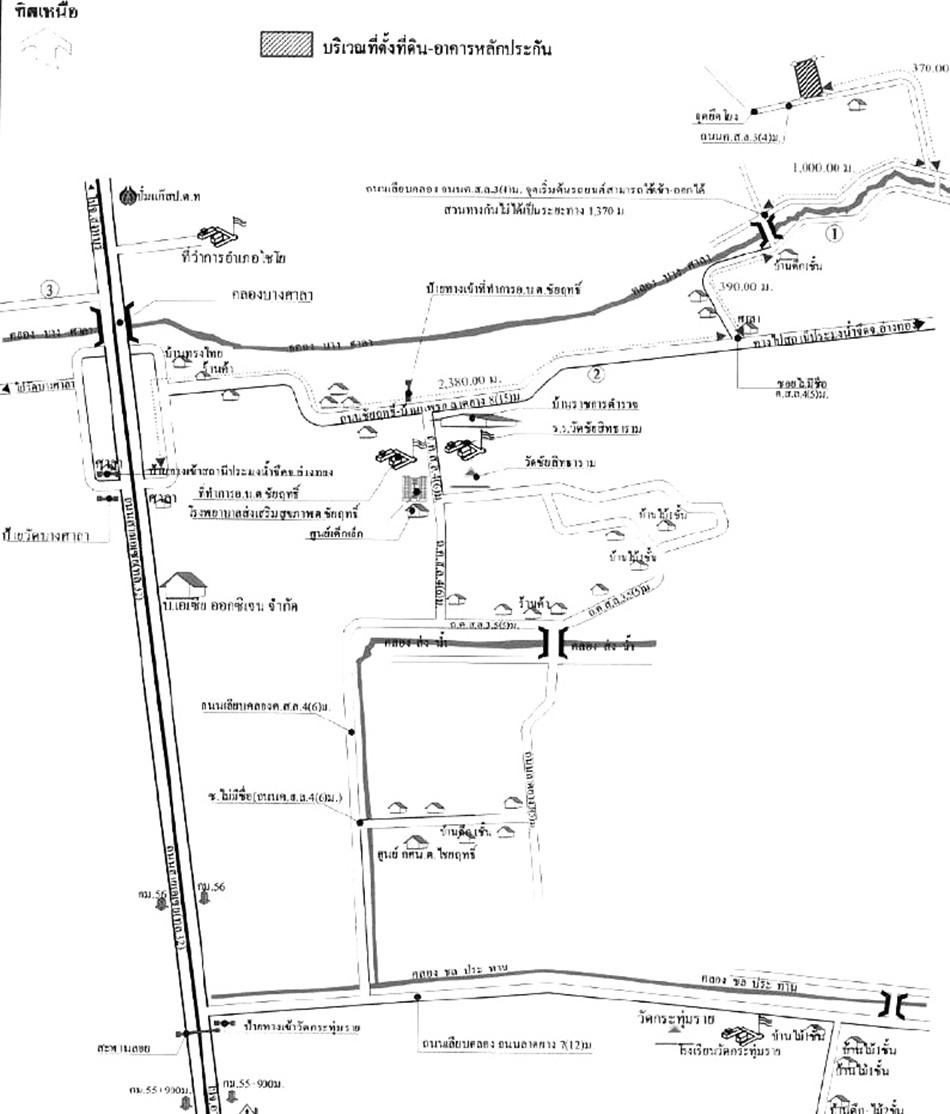
ทำเลที่ตั้ง

คลิ๊กดูรูปภาพแผนที่

ข้อมูลติดต่อ

ธนาคารอาคารสงเคราะห์
  • ฝ่ายบริหารหนี้ภูมิภาค ติดต่อ 0-2645-9000 กด 5 วันทำการ เวลา 8.30 น. - 16.30 น. (คุณฐิติมา สุมาวัน โทร 08-5485-4176 สาขาอ่างทอง)
เบอร์ติดต่อธนาคาร
  • 0-2645-9000
  • โทร. 0-2645-9000
  • 08-5485-4176
  • โทร. 08-5485-4176
  • ติดต่อธนาคาร