ค้นหาบ้านมือสองธอส.
ลองเปลี่ยนมาใช้ผ่านแอปดูสิ ใช้ง่าย รวดเร็ว โหลดเลย!
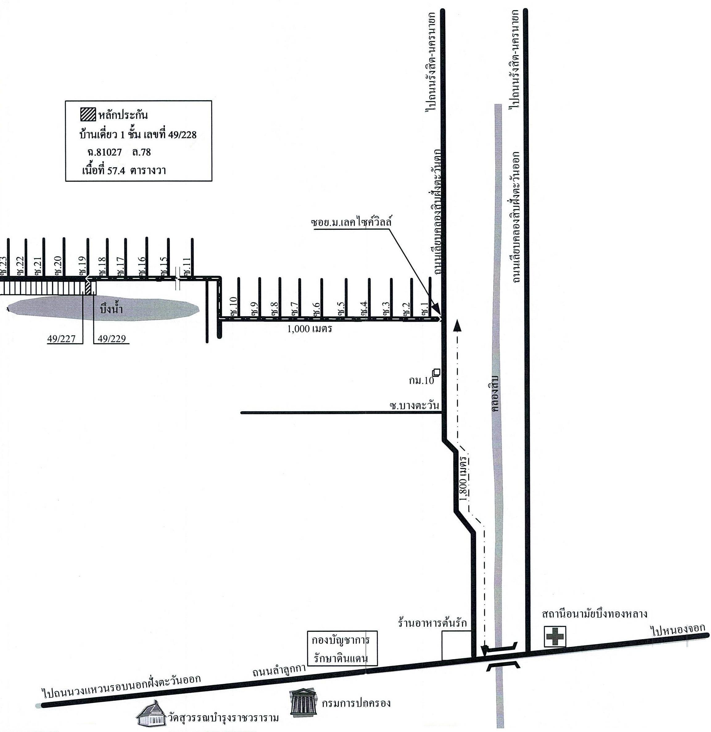
  • เลขที่โฉนด/นส3.ก : -
  • รหัสทรัพย์: 1306122531
  • ลำดับทรัพย์ที่: 278
  • ประเภททรัพย์: บ้านเดี่ยว
  • โครงการ/หมู่บ้าน: เลคไซค์วิลล์
  • ต.บึงทองหลาง อ.ลำลูกกา จ.ปทุมธานี
  • 57.4 ตร.ว.
  • 1 ชั้น

รายละเอียดทรัพย์

  • ประเภททรัพย์ บ้านเดี่ยว
  • เนื้อที่ 57.4 ตร.ว.
  • จำนวนชั้น 1 ชั้น
  • ซอย ม.เลคไซค์วิลล์
  • ตำบล/แขวง บึงทองหลาง
  • จังหวัด ปทุมธานี
  • โครงการ/หมู่บ้าน เลคไซค์วิลล์
  • พื้นที่ใช้สอย
    -
  • ที่ตั้งทรัพย์ 49/228
  • ถนน เลียบคลองสิบฝั่งตะวันตก
  • อำเภอ/เขต ลำลูกกา
  •  

รายละเอียดเพิ่มเติม

ในงาน งานมหกรรมการเงินกรุงเทพส่งท้ายปี ครั้งที่ 8

ราคาพิเศษเฉพาะงานมหกรรมการเงินกรุงเทพ ส่งท้ายปี ครั้งที่ 8 จัดขึ้นระหว่างวันที่ 20 -23 พฤศจิกายน 2568 ณ ศูนย์การประชุมแห่งชาติสิริกิติ์ ผู้สนใจวางเงินจองซื้อทรัพย์จำนวน 5000 บาท ต่อ 1 รายการ พิเศษ!!!สามารถใช้ผลิตภัณฑ์สินเชื่อ NPA Special Event ปี 2568 อัตราดอกเบี้ย 0% นาน 2 ปี * เงื่อนไขเป็นไปตามที่ธนาคารกำหนด

  •   ณ ศูนย์การประชุมแห่งชาติสิริกิติ์
  •   20 - 23 พ.ย. 2568
  •   10:00-20:00 น.

ถ้าจะซื้อทรัพย์นี้ จะต้องผ่อนเดือนละเท่าไหร่

ราคาทรัพย์ 1,170,000 บาท

เงินจอง บาท
เงินประกันการเข้าอยู่ 1.5% บาท
เงินดาวน์
จำนวนเงินดาวน์ บาท
เงินดาวน์งวดที่1* บาท
เงินดาวน์งวดที่2
*
บาท

ชำระวันทำสัญญา เงินจอง + เงินประกันการเข้าอยู่ 1.5% + เงินดาวน์งวดที่ 1 บาท

จำนวนเงินขอสินเชื่อ บาท
ผ่อนชำระ ปี
อัตราดอกเบี้ย ปี
จำนวนเงินผ่อนชำระ* บาท/เดือน

หมายเหตุ
  • ยอดการผ่อนชำระเป็นเพียงการประมาณการในเบื้องต้น ส่วนการอนุมัติสินเชื่อสงวนสิทธิ์ เป็นไปตามหลักเกณฑ์ของธนาคารและคุณสมบัติของผู้กู้ และอัตราดอกเบี้ยอ้างอิงจากดอกเบี้ยเงินกู้ร้อยละ 6.245
  • เงินดาวน์ 10%
    117,000 บาท
  • ผ่อนดาวน์ (ต่องวด)
    9,700 บาท

  • ยอดจัดสินเชื่อ
    1,053,000 บาท
  • อัตราผ่อนชำระ (ต่อเดือน)
    6,500 บาท
หมายเหตุ
  • ยอดการผ่อนชำระเป็นเพียงการประมาณการในเบื้องต้น ส่วนการอนุมัติสินเชื่อสงวนสิทธิ์ เป็นไปตามหลักเกณฑ์ของธนาคารและคุณสมบัติของผู้กู้ และอัตราดอกเบี้ยอ้างอิงจากดอกเบี้ยเงินกู้ร้อยละ 6.245

ทำเลที่ตั้ง

คลิ๊กดูรูปภาพแผนที่

ข้อมูลติดต่อ

ธนาคารอาคารสงเคราะห์
  • ฝ่ายบริหาร NPA โทร 0-2645-9000 กด 5 วันและเวลาทำการ จันทร์ - ศุกร์ 8.30น. - 16.30น.(คุณลัทธพล พันธ์แดงชิณภา 09-9123-1307 วันเสาร์-อาทิตย์)
เบอร์ติดต่อธนาคาร
  • 0-2645-9000
  • โทร. 0-2645-9000
  • 09-9123-1307
  • โทร. 09-9123-1307
  • ติดต่อธนาคาร

Memorial Banner