ขายทาวน์เฮ้าส์ (ภัทรารมย์ 2)
ราคาทรัพย์ 841,000 บาท
- เลขที่โฉนด/นส3.ก : -
- รหัสทรัพย์: 1305108671
- ลำดับทรัพย์ที่: -
- ประเภททรัพย์: ทาวน์เฮ้าส์
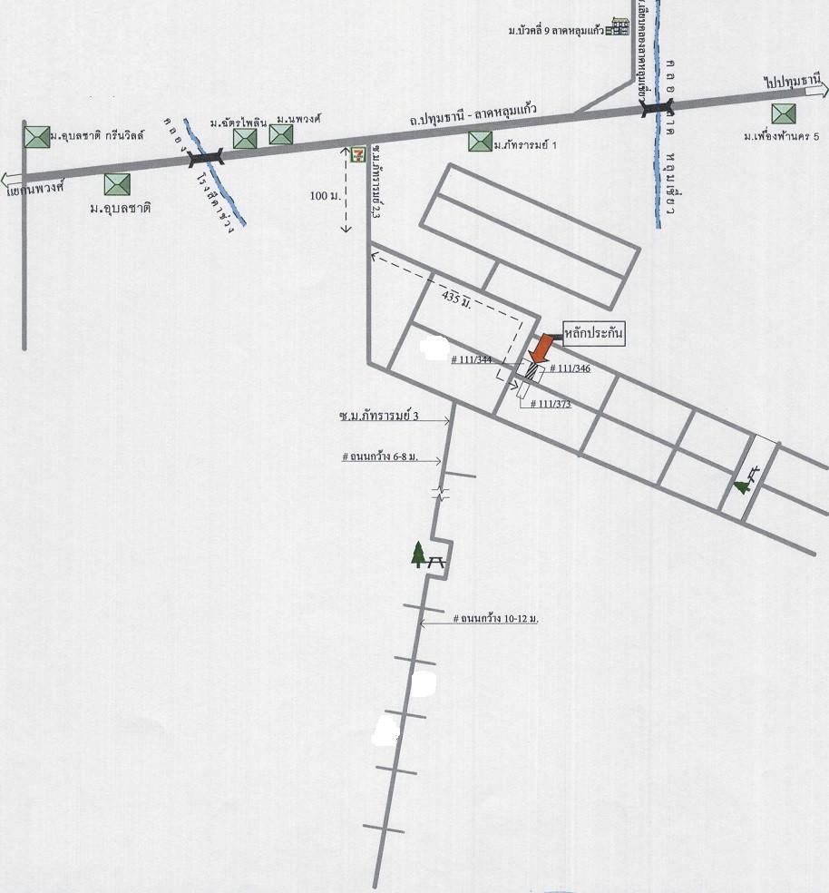
- โครงการ/หมู่บ้าน: ภัทรารมย์ 2
- ต.ระแหง อ.ลาดหลุมแก้ว จ.ปทุมธานี
- 18 ตร.ว.
- 1 ชั้น
รายละเอียดทรัพย์
- ประเภททรัพย์ ทาวน์เฮ้าส์
- เนื้อที่ 18 ตร.ว.
- จำนวนชั้น 1 ชั้น
- ซอย ม.ภัทรารมย์2-3
- ตำบล/แขวง ระแหง
- จังหวัด ปทุมธานี
- โครงการ/หมู่บ้าน ภัทรารมย์ 2
- พื้นที่ใช้สอย -
- ที่ตั้งทรัพย์ 111/345
- ถนน ปทุมธานี-ลาดหลุมแก้ว
- อำเภอ/เขต ลาดหลุมแก้ว
รายละเอียดเพิ่มเติม
ในงาน โครงการบ้านล้านหลัง ระยะที่ 3
โครงการบ้านล้านหลัง ระยะที่ 3 สามารถใช้สินเชื่ออัตราดอกเบี้ยคงที่ 5 ปีแรก 3.00% ต่อปี เพียงดาวน์โหลด GHB ALL GEN Application และรับรหัสเข้าร่วมโครงการ ระยะเวลาโครงการตั้งแต่วันที่ 27 กุมภาพันธ์ 2566 - 30 ธันวาคม 2568 หรือจนกว่าจะเต็มกรอบวงเงินในโครงการ (ราคาโปรโมชั่นนี้สามารถซื้อและทำสัญญาฯ ได้ถึงวันที่ 24 ม.ค. 69)*เงื่อนไขเป็นไปตามที่ธนาคารกำหนด
- ธนาคารอาคารสงเคราะห์ สำนักงานใหญ่ และที่ทำการสาขาทั่วประเทศ
- 27 ก.พ. 2566 - 30 ธ.ค. 2568
- 08:30-16:30 น.
ถ้าจะซื้อทรัพย์นี้ จะต้องผ่อนเดือนละเท่าไหร่
คำนวณเงินดาวน์และสินเชื่อ
ราคาทรัพย์ 841,000 บาท
เงินจอง | บาท | |
เงินประกันการเข้าอยู่ 1.5% | บาท | |
เงินดาวน์ |
|
|
จำนวนเงินดาวน์ | บาท | |
เงินดาวน์งวดที่1* | บาท | |
เงินดาวน์งวดที่2 * |
บาท | |
|
||
ชำระวันทำสัญญา | เงินจอง + เงินประกันการเข้าอยู่ 1.5% + เงินดาวน์งวดที่ 1 | บาท |
|
||
จำนวนเงินขอสินเชื่อ | บาท | |
ผ่อนชำระ | ปี | |
อัตราดอกเบี้ย | ปี | |
จำนวนเงินผ่อนชำระ* | บาท/เดือน |
หมายเหตุ
- ยอดการผ่อนชำระเป็นเพียงการประมาณการในเบื้องต้น ส่วนการอนุมัติสินเชื่อสงวนสิทธิ์ เป็นไปตามหลักเกณฑ์ของธนาคารและคุณสมบัติของผู้กู้ และอัตราดอกเบี้ยอ้างอิงจากดอกเบี้ยเงินกู้ร้อยละ 6.245
- เงินดาวน์ 10%85,000 บาท
- ผ่อนดาวน์ (ต่องวด) 7,000 บาท
- ยอดจัดสินเชื่อ 756,000 บาท
- อัตราผ่อนชำระ (ต่อเดือน) 4,700 บาท
หมายเหตุ
- ยอดการผ่อนชำระเป็นเพียงการประมาณการในเบื้องต้น ส่วนการอนุมัติสินเชื่อสงวนสิทธิ์ เป็นไปตามหลักเกณฑ์ของธนาคารและคุณสมบัติของผู้กู้ และอัตราดอกเบี้ยอ้างอิงจากดอกเบี้ยเงินกู้ร้อยละ 6.245
ข้อมูลติดต่อ
ธนาคารอาคารสงเคราะห์
- ฝ่ายบริหาร NPA โทร 0-2645-9000 กด 5 วันและเวลาทำการ จันทร์ - ศุกร์ 8.30น. - 16.30น.(คุณลัทธพล พันธ์แดงชิณภา 09-9123-1307 วันเสาร์-อาทิตย์)
เบอร์ติดต่อธนาคาร
- 0-2645-9000
-
โทร. 0-2645-9000
- 09-9123-1307
-
โทร. 09-9123-1307
-
โทรติดต่อธนาคาร